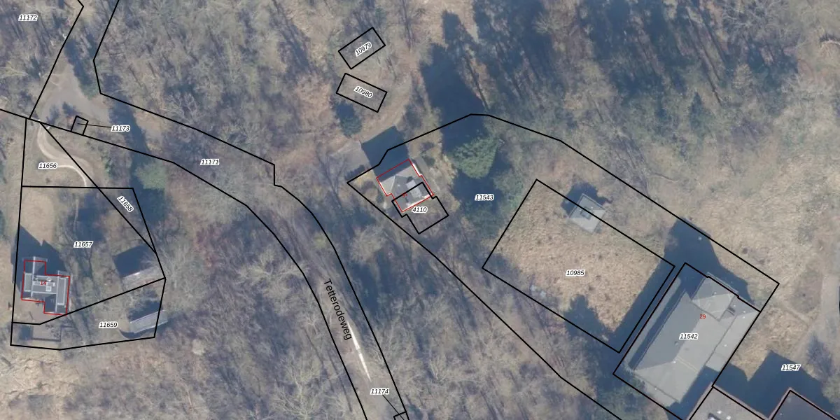
Perceel: BMD00-A-4110
KadastraleKaart.com kan meer dan je denktOntdek meer ›
Filter op bestemming 50+ datasets Eigendomsdata in één klik Percelen CRM
85 m2 - 39 m
Eigenaar opvragen
BMD00-A-4110 (Bloemendaal)
- 2051 EG
x2NtGmxFcxss NWFzuVF0lX Upgrade naar KadastraleKaart Pro
Bekijk op Street View
Download DWG/DXF/Excel
uV4ZPZaR4cmdGv1NSOmmd0Upgrade naar KadastraleKaart Pro
yU2EZoAy1F3A 8wUpgrade naar KadastraleKaart Pro
Ig4i4 l Upgrade naar KadastraleKaart Pro
l qTIO1 NygZ0a rfsDUpgrade naar KadastraleKaart Pro
haGm77mf6b4m4xh2A Upgrade naar KadastraleKaart Pro
Z HJrzL5N Xloj H SUpgrade naar KadastraleKaart Pro
kAcZ2E Ggvvqb uEsUpgrade naar KadastraleKaart Pro
433QIjax0UWOv9S73H6JDYwUpgrade naar KadastraleKaart Pro
PX7qf 2SGYY 4Zu9kAYUpgrade naar KadastraleKaart Pro
2XADcazRorAvpUpgrade naar KadastraleKaart Pro
28/12/2007

Percelen
Gebruik de zoekbalk of klik op een perceel om informatie over het perceel te bekijken.