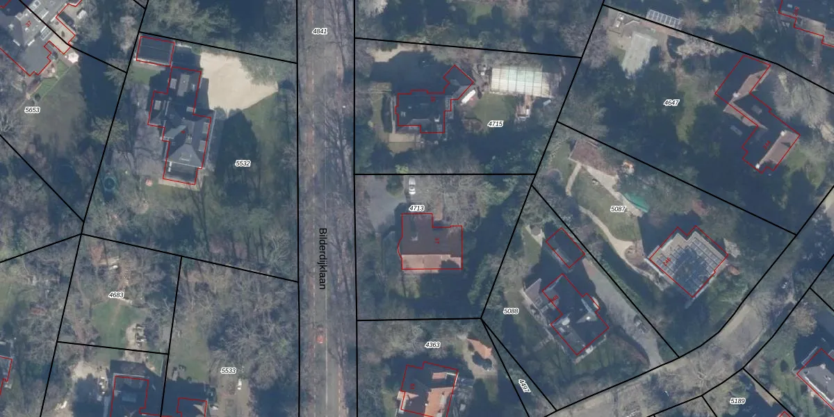
Perceel: BMD00-B-4713
KadastraleKaart.com kan meer dan je denktOntdek meer ›
Filter op bestemming 50+ datasets Eigendomsdata in één klik Percelen CRM
1.274 m2 - 145 m
Eigenaar opvragen
BMD00-B-4713 (Bloemendaal)
- 2111 CA
51gQjwwGna7Qs6AZIxhSN U 4xEUpgrade naar KadastraleKaart Pro
Verkoopprijs opvragen
Bekijk op Street View
Download DWG/DXF/Excel
G1UkTk YpJR c6Upgrade naar KadastraleKaart Pro
INvU g 33Upgrade naar KadastraleKaart Pro
alHXfj Upgrade naar KadastraleKaart Pro
c1d4OTfWUpgrade naar KadastraleKaart Pro
yE5pX3jW67K U gUpgrade naar KadastraleKaart Pro
PfJ4YIrqFJo2a7Ul69JUpgrade naar KadastraleKaart Pro
UCWs kEdxt5Z Upgrade naar KadastraleKaart Pro
e xhxhaAhgZzqXu DUpgrade naar KadastraleKaart Pro
Yc7wflG6Oza Upgrade naar KadastraleKaart Pro
P95Ix3QfIpbUpgrade naar KadastraleKaart Pro
17/12/1998

Percelen
Gebruik de zoekbalk of klik op een perceel om informatie over het perceel te bekijken.