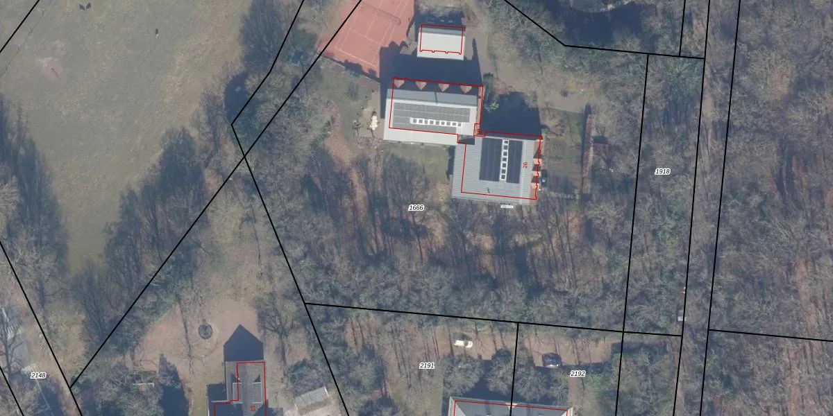
Perceel: BMD00-C-1666
KadastraleKaart.com kan meer dan je denktOntdek meer ›
Filter op bestemming 50+ datasets Eigendomsdata in één klik Percelen CRM
6.310 m2 - 316 m
Eigenaar opvragen
BMD00-C-1666 (Bloemendaal)
- 2111 HH
FZm JSIavcAEkc8a7HUpgrade naar KadastraleKaart Pro
Bekijk op Street View
Download DWG/DXF/Excel
GjZD2rfUSxJyeMtUpgrade naar KadastraleKaart Pro
7ZOl 6 LpUpgrade naar KadastraleKaart Pro
5AtlJpkaCHmNUpgrade naar KadastraleKaart Pro
W1Akv0GxZUpgrade naar KadastraleKaart Pro
pm CPy06SyTuOUpgrade naar KadastraleKaart Pro
t w qfvgr tmH0T KOU4JmUpgrade naar KadastraleKaart Pro
e86An4Dywz mXviHY4urtLUpgrade naar KadastraleKaart Pro
EgXiMFUGZznsAOrOt hYUpgrade naar KadastraleKaart Pro
r0vc6p HB1aOO Upgrade naar KadastraleKaart Pro
Pceq4tZxcUUpgrade naar KadastraleKaart Pro
08/06/2010

Percelen
Gebruik de zoekbalk of klik op een perceel om informatie over het perceel te bekijken.