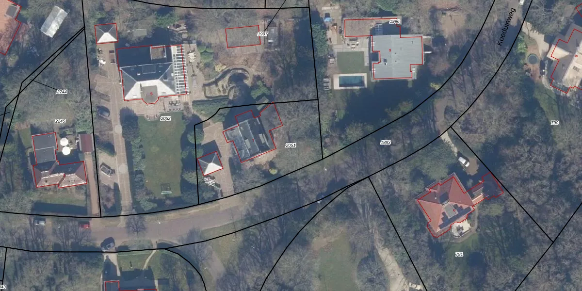
Perceel: BMD00-C-2051
KadastraleKaart.com kan meer dan je denktOntdek meer ›
Filter op bestemming 50+ datasets Eigendomsdata in één klik Percelen CRM
1.090 m2 - 138 m
Eigenaar opvragen
BMD00-C-2051 (Bloemendaal)
- 2111 HW
t3rUQkDSI5 AGiVgG09sUpgrade naar KadastraleKaart Pro
Verkoopprijs opvragen
Bekijk op Street View
Download DWG/DXF/Excel
LA zB4CII6 t 78Xqrqu6SUpgrade naar KadastraleKaart Pro
2z5ydIX8Cc0AqH iUpgrade naar KadastraleKaart Pro
03zq3Dwr eGyQIQFGnb65Upgrade naar KadastraleKaart Pro
iIdkB6i3 aehRHv EUpgrade naar KadastraleKaart Pro
7enMZY8iONLiE3jSHQUpgrade naar KadastraleKaart Pro
lseBMbBTjTe2OUpgrade naar KadastraleKaart Pro
8JN b4 W Upgrade naar KadastraleKaart Pro
37dTP2siRoSG N nTSpaUpgrade naar KadastraleKaart Pro
08Rp oTTUpgrade naar KadastraleKaart Pro
c3FLW5VBnVywiTVbJs0Upgrade naar KadastraleKaart Pro
05/01/1999

Percelen
Gebruik de zoekbalk of klik op een perceel om informatie over het perceel te bekijken.