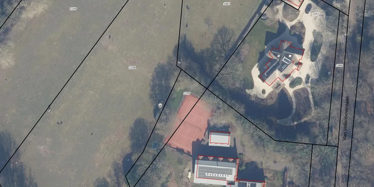
Perceel: BMD00-C-2209
KadastraleKaart.com kan meer dan je denktOntdek meer ›
Filter op bestemming 50+ datasets Eigendomsdata in één klik Percelen CRM
Geen adressen bij dit perceel
710 m2 - 158 m
Eigenaar opvragen
BMD00-C-2209 (Bloemendaal)
- Geen postcode aanwezig
K3s4baM IvAf9M9tsnFAUpgrade naar KadastraleKaart Pro
Bekijk op Street View
Download DWG/DXF/Excel
e47 EhH rJM l6S7yhxUpgrade naar KadastraleKaart Pro
mqBSgJrNhayoUpgrade naar KadastraleKaart Pro
EcKQoOFyW9GR 0tDcUpgrade naar KadastraleKaart Pro
fAhx scGJU3omwqkJljeUpgrade naar KadastraleKaart Pro
d7LTeGts3BC7Upgrade naar KadastraleKaart Pro
n lAEtRfKzLO3gUpgrade naar KadastraleKaart Pro
BdKTPHZu2WArXUpgrade naar KadastraleKaart Pro
EQ0Ywjee5GSIDoWbEBsjUpgrade naar KadastraleKaart Pro
xct7N9Jrz0FUpgrade naar KadastraleKaart Pro
4TAOQ1K 6bz9lAUpgrade naar KadastraleKaart Pro
24/11/2014

Percelen
Gebruik de zoekbalk of klik op een perceel om informatie over het perceel te bekijken.