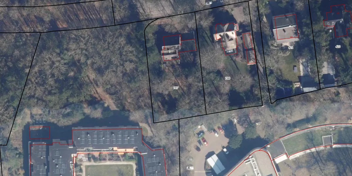
Perceel: BMD00-F-787
KadastraleKaart.com kan meer dan je denktOntdek meer ›
Filter op bestemming 50+ datasets Eigendomsdata in één klik Percelen CRM
1.738 m2 - 174 m
Eigenaar opvragen
BMD00-F-787 (Bloemendaal)
- 2061 HV
FVrtp20WZQ8ZdKs1CLkyuAGnUpgrade naar KadastraleKaart Pro
Verkoopprijs opvragen
Bekijk op Street View
Download DWG/DXF/Excel
6 wQGEzYBQXBwUpgrade naar KadastraleKaart Pro
DVnlEg rFhWQZ5E cDUpgrade naar KadastraleKaart Pro
E fm2dzWQoPqJ zY6Upgrade naar KadastraleKaart Pro
rfHsqajCQyOzviRWUpgrade naar KadastraleKaart Pro
n7LNy3ly7fUpgrade naar KadastraleKaart Pro
RMuqVsdidobEGgatnrD Fv Upgrade naar KadastraleKaart Pro
XuTNNg YsfuTZMUWEf4pD8JUpgrade naar KadastraleKaart Pro
v3BIt0IiJsUpgrade naar KadastraleKaart Pro
gILPDAeNCuGD YlUpgrade naar KadastraleKaart Pro
6YsmabOcuDDCWB5eoUpgrade naar KadastraleKaart Pro
03/10/2000

Percelen
Gebruik de zoekbalk of klik op een perceel om informatie over het perceel te bekijken.