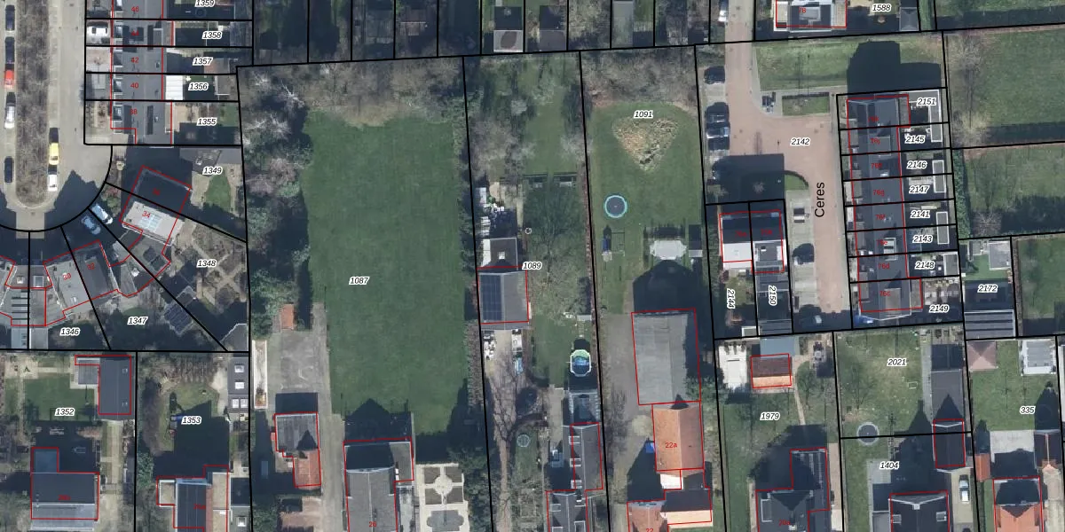
Perceel: BML02-E-1089
2.155 m2 - 244 m
Eigenaar opvragen
BML02-E-1089 (Bemmel)
- 6681 DZ
QKJwo8pmJEJMDB3RUMaQ86X HsUpgrade naar KadastraleKaart Pro
Verkoopprijs opvragen
Bekijk op Street View
Download DWG/DXF/Excel
tuev DDeFFBowSUpgrade naar KadastraleKaart Pro
5yMiRCaYiI18PfUpgrade naar KadastraleKaart Pro
5R6rREhP KpQPHjbJWRI2Upgrade naar KadastraleKaart Pro
I1ekHgyOmY4bUpgrade naar KadastraleKaart Pro
mfptvHH ZHXvBP Upgrade naar KadastraleKaart Pro
9 aJ VuQUpgrade naar KadastraleKaart Pro
KoYJsp plM GYO40MJ6Upgrade naar KadastraleKaart Pro
KCqO4vp3QUpgrade naar KadastraleKaart Pro
EwD0VfSfJDUpgrade naar KadastraleKaart Pro
sGd ejVlVZ r ghkLlm5 6Upgrade naar KadastraleKaart Pro
18/12/2001

Percelen
Gebruik de zoekbalk of klik op een perceel om informatie over het perceel te bekijken.