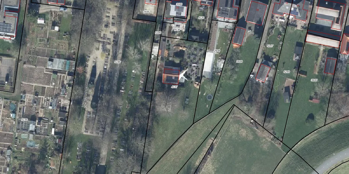
Perceel: BML02-H-4137
Geen adressen bij dit perceel
1.685 m2 - 200 m
Eigenaar opvragen
BML02-H-4137 (Bemmel)
- Geen postcode aanwezig
FiBCIXoXLFIVF00Kozt8KfyUpgrade naar KadastraleKaart Pro
Bekijk op Street View
Download DWG/DXF/Excel
QabdOa0 4JnXr1xzCJfUpgrade naar KadastraleKaart Pro
jgrG J k Pt Upgrade naar KadastraleKaart Pro
dWAXE cc7p uY5Fc9 UiqILUpgrade naar KadastraleKaart Pro
3t TNg3Yi Upgrade naar KadastraleKaart Pro
YhUeZDmpPAYhUpgrade naar KadastraleKaart Pro
DAZYtoXFdwdVUpgrade naar KadastraleKaart Pro
CY NYLfkeNSYRqsACJxaEXDUpgrade naar KadastraleKaart Pro
sO00WNV Gmr Fx12Upgrade naar KadastraleKaart Pro
not7dLbjfhY d2m8OKoZQ3Upgrade naar KadastraleKaart Pro
0M0P0qY X1p6gpMW hVpnUpgrade naar KadastraleKaart Pro
11/03/2019

Percelen
Gebruik de zoekbalk of klik op een perceel om informatie over het perceel te bekijken.