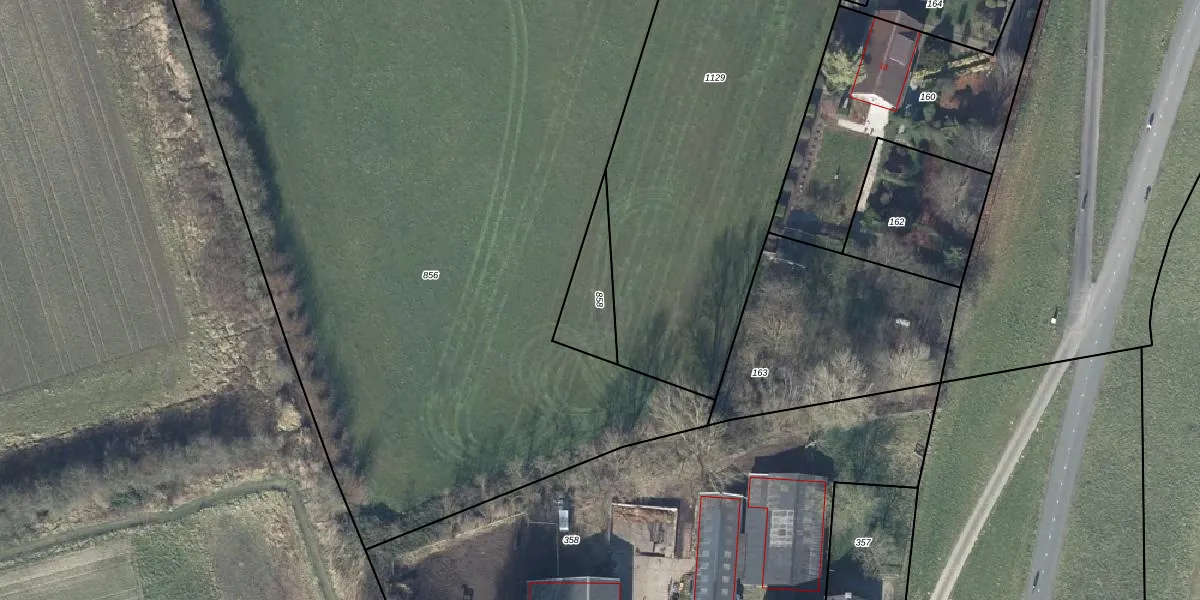
Perceel: BML02-L-858
Geen adressen bij dit perceel
175 m2 - 74 m
Eigenaar opvragen
BML02-L-858 (Bemmel)
- Geen postcode aanwezig
1xcGp qsw1Bjk vQF 8Cw3FDqCKtDwkUpgrade naar KadastraleKaart Pro
Bekijk op Street View
Download DWG/DXF/Excel
9JXJ Kpn6fN7esE 0 zUpgrade naar KadastraleKaart Pro
0MsA FS5XFs5EK6 Upgrade naar KadastraleKaart Pro
uGqF TvNUpgrade naar KadastraleKaart Pro
3 pvT6bNUpgrade naar KadastraleKaart Pro
8L8Ygc SN3IGp RL k AeR Upgrade naar KadastraleKaart Pro
Q eEKlVkUpgrade naar KadastraleKaart Pro
TOnA61U nUNU wYwjUpgrade naar KadastraleKaart Pro
HHv7efPh6ArDqfaUpgrade naar KadastraleKaart Pro
tVJTjxfUV1d1vAUpgrade naar KadastraleKaart Pro
G5i1pJXsJ8wcv rnpRyp8Upgrade naar KadastraleKaart Pro
05/09/2013

Percelen
Gebruik de zoekbalk of klik op een perceel om informatie over het perceel te bekijken.