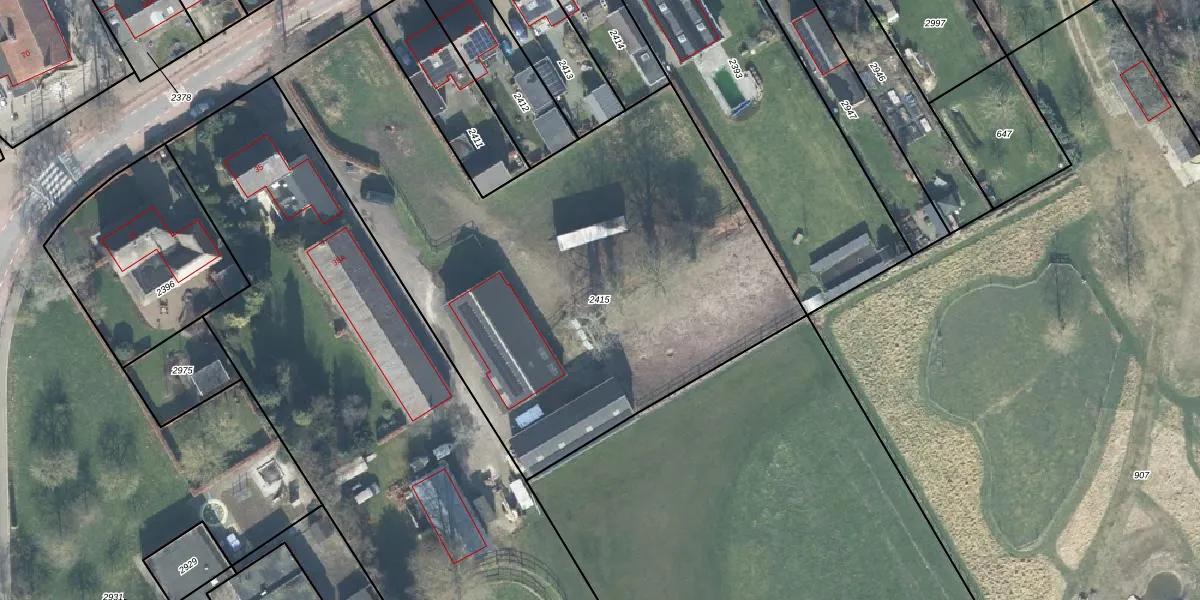
Perceel: BMN01-A-2415
Geen adressen bij dit perceel
3.108 m2 - 270 m
Eigenaar opvragen
BMN01-A-2415 (Brummen)
- Geen postcode aanwezig
1qvz8M 6eCoGDC80nuc3Kkm9J7Upgrade naar KadastraleKaart Pro
Bekijk op Street View
Download DWG/DXF/Excel
w7MHRCub1AnvxG7Upgrade naar KadastraleKaart Pro
amRKT1xZ RlqUpgrade naar KadastraleKaart Pro
A7QXtTYxPjoVMdMsrVUpgrade naar KadastraleKaart Pro
dO2yX nW HUpgrade naar KadastraleKaart Pro
6VbL13nsUpgrade naar KadastraleKaart Pro
5q0Nvrh5ILI8 YyTcSYagpUpgrade naar KadastraleKaart Pro
50WNStXDqdmha1xn I QDUpgrade naar KadastraleKaart Pro
dKcYWK0lPUpgrade naar KadastraleKaart Pro
OAvkY hBJ1pZrxiiUpgrade naar KadastraleKaart Pro
S PXT0EUpgrade naar KadastraleKaart Pro
14/12/2023

Percelen
Gebruik de zoekbalk of klik op een perceel om informatie over het perceel te bekijken.