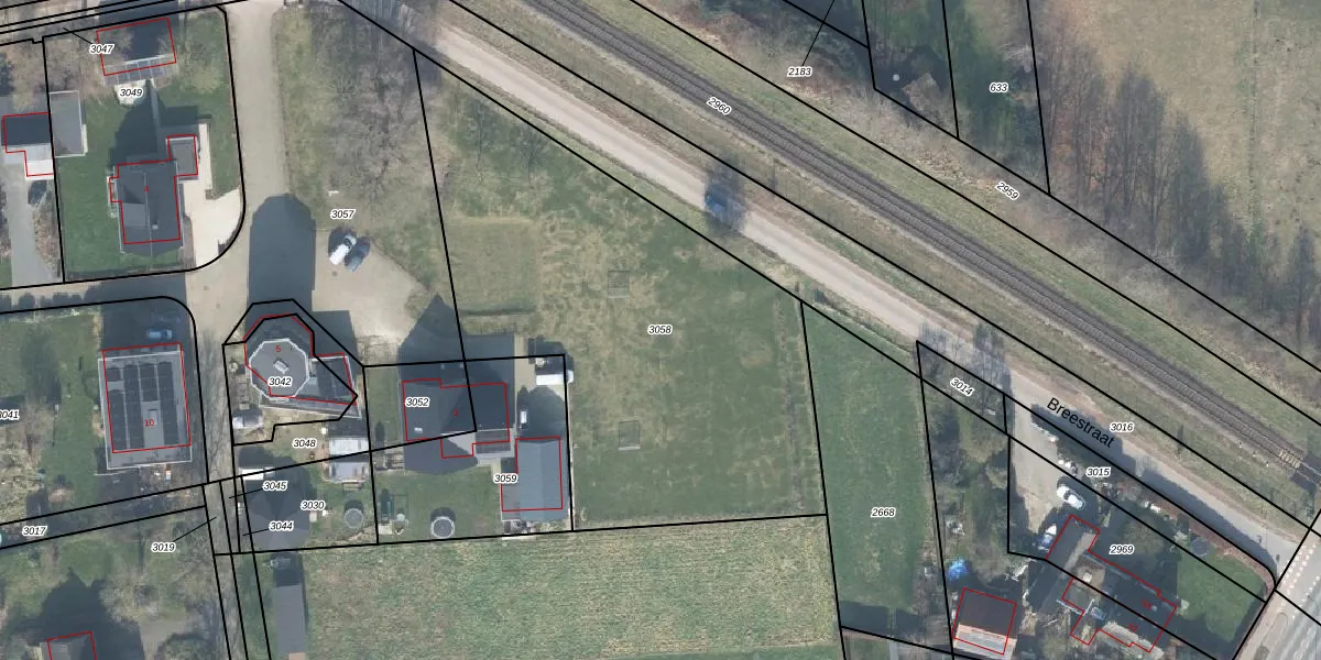
Perceel: BMN01-A-3058
Geen adressen bij dit perceel
2.494 m2 - 231 m
Eigenaar opvragen
BMN01-A-3058 (Brummen)
- Geen postcode aanwezig
zZS nF5sYkSaY yxFbRvvUpgrade naar KadastraleKaart Pro
Bekijk op Street View
Download DWG/DXF/Excel
bLr SqMAt77 y QQcUpgrade naar KadastraleKaart Pro
HuJPXWE HMUpgrade naar KadastraleKaart Pro
Kpze5n9i 1oixAHUUpgrade naar KadastraleKaart Pro
eqN 1N fONmzauUpgrade naar KadastraleKaart Pro
aMg vhIQ9Upgrade naar KadastraleKaart Pro
8 1gMqlRu Quz4eTkVwUpgrade naar KadastraleKaart Pro
kpjtxDk9jaO3qE7oUpgrade naar KadastraleKaart Pro
ZnzqXf aESxK3SNuUpgrade naar KadastraleKaart Pro
jyvFyr1Zvt1h4HUpgrade naar KadastraleKaart Pro
COaNIFKBXCe6Upgrade naar KadastraleKaart Pro
02/04/2021

Percelen
Gebruik de zoekbalk of klik op een perceel om informatie over het perceel te bekijken.