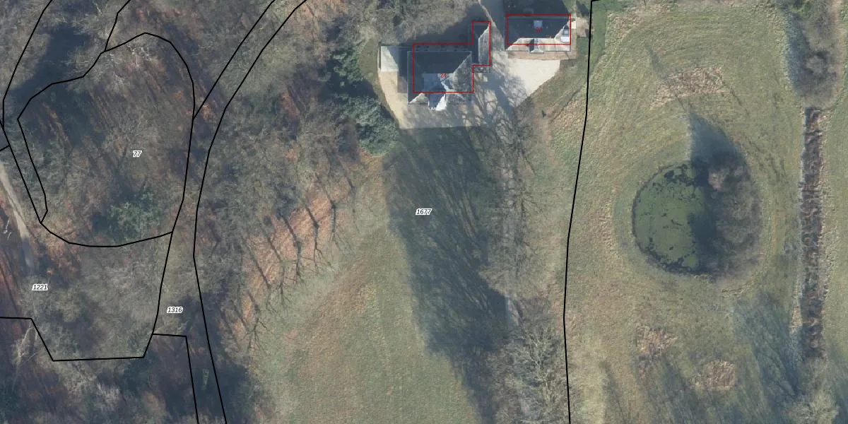
Perceel: BMN01-D-1677
15.240 m2 - 531 m
Eigenaar opvragen
BMN01-D-1677 (Brummen)
- 6964 BG
PIafcpY s4kVaCK6YUpgrade naar KadastraleKaart Pro
Bekijk op Street View
Download DWG/DXF/Excel
R9B d Pw nPFUpgrade naar KadastraleKaart Pro
Xx E6VWiEn1KfUpgrade naar KadastraleKaart Pro
X0Cjpfli09YMr0bFPaL4uUpgrade naar KadastraleKaart Pro
E6qFKUfJhUuUpgrade naar KadastraleKaart Pro
omLyV7Upgrade naar KadastraleKaart Pro
2PnNjfBpIa1 LFiNqAUpgrade naar KadastraleKaart Pro
yjklASLH6Upgrade naar KadastraleKaart Pro
6a3clgUT dbeUpgrade naar KadastraleKaart Pro
Za BqDRi3RNU K oLLIUpgrade naar KadastraleKaart Pro
m2YGdL1ia nEhpcDB Of1DvUpgrade naar KadastraleKaart Pro
09/05/2003

Percelen
Gebruik de zoekbalk of klik op een perceel om informatie over het perceel te bekijken.