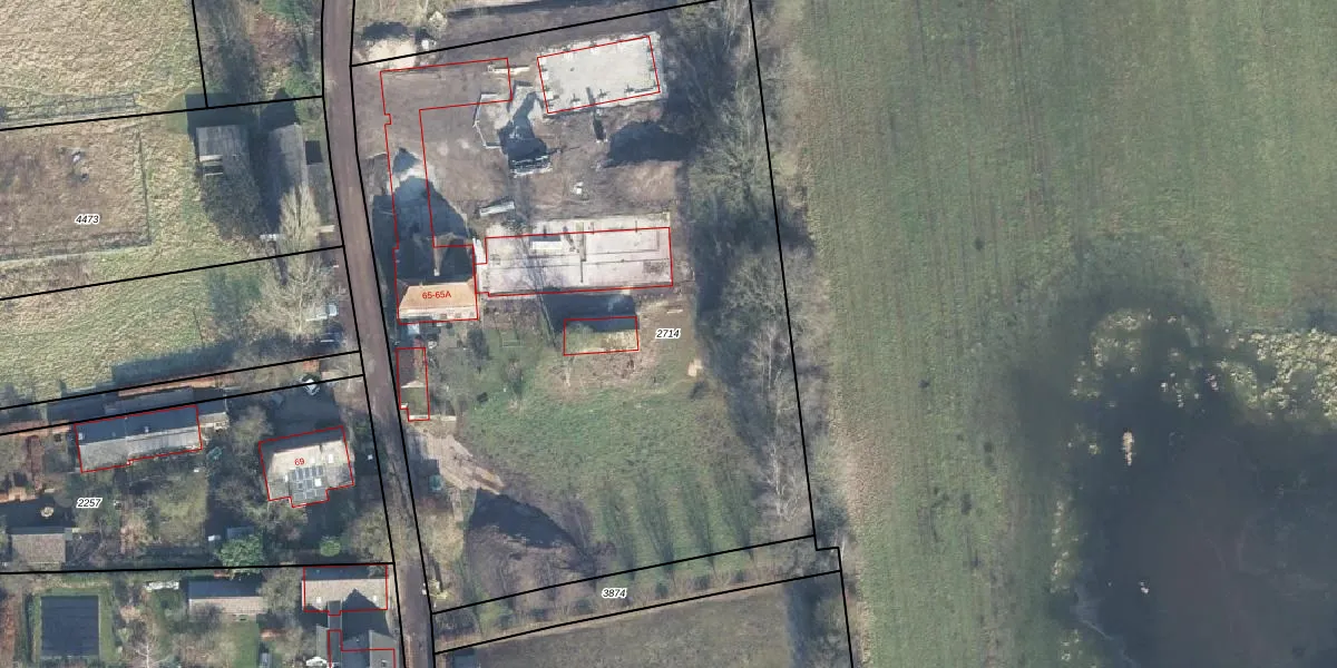
Perceel: BMN01-E-2714
KadastraleKaart.com kan meer dan je denktOntdek meer ›
Filter op bestemming 50+ datasets Eigendomsdata in één klik Percelen CRM
4.825 m2 - 284 m
Eigenaar opvragen
BMN01-E-2714 (Brummen)
- 6971 LH
BkHjRUrrimB2duIwH6PKnn V7xOu7Upgrade naar KadastraleKaart Pro
Bekijk op Street View
Download DWG/DXF/Excel
nyNF XtkrUpgrade naar KadastraleKaart Pro
o8sXbOGMo0IFxrQna8LvJUpgrade naar KadastraleKaart Pro
RSVRxiTIERluimeC1COUpgrade naar KadastraleKaart Pro
xYgSNjqwtn4z9 8HZoUpgrade naar KadastraleKaart Pro
u7PbEc9Lxq4o9 AgdYHsUpgrade naar KadastraleKaart Pro
MB6i JYajUpgrade naar KadastraleKaart Pro
N8160S66JAQPm gnFOUpgrade naar KadastraleKaart Pro
urnUHPt FoH ptEO7Upgrade naar KadastraleKaart Pro
0IRFDfPaStQRaumSspTOUpgrade naar KadastraleKaart Pro
C1u H 0X7TxQk OUpgrade naar KadastraleKaart Pro
11/06/2010

Percelen
Gebruik de zoekbalk of klik op een perceel om informatie over het perceel te bekijken.