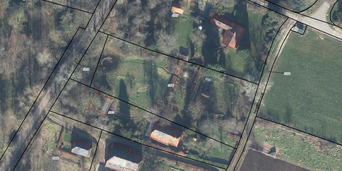
Perceel: BMN01-H-1696
Geen adressen bij dit perceel
3.250 m2 - 258 m
Eigenaar opvragen
BMN01-H-1696 (Brummen)
- Geen postcode aanwezig
PYHBVsUGdB G3F3 Yq6Upgrade naar KadastraleKaart Pro
Bekijk op Street View
Download DWG/DXF/Excel
ANaf0P0HiQ8wHpLUpgrade naar KadastraleKaart Pro
LKB4vIRJ S7Ly2 oUCrNUpgrade naar KadastraleKaart Pro
RJNAROKcUpgrade naar KadastraleKaart Pro
eO MGyrD vo4sioBnJUpgrade naar KadastraleKaart Pro
ZfeaIuU4 UcUpgrade naar KadastraleKaart Pro
kzfUnDbVym3d2FTBnfjtpVUpgrade naar KadastraleKaart Pro
bv LBN E MWk ofBehLpUpgrade naar KadastraleKaart Pro
41uG 0rL82tPg Upgrade naar KadastraleKaart Pro
hHDEKXNeRSYUpgrade naar KadastraleKaart Pro
o6XlqJXTlYVOd6XnK1Upgrade naar KadastraleKaart Pro
09/05/2003

Percelen
Gebruik de zoekbalk of klik op een perceel om informatie over het perceel te bekijken.