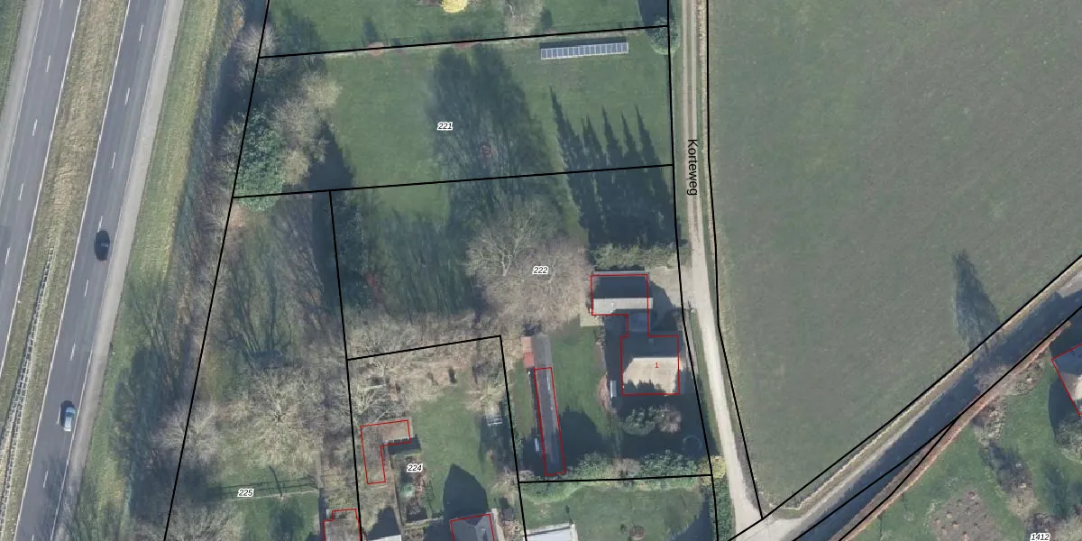
Perceel: BMN01-I-222
KadastraleKaart.com kan meer dan je denktOntdek meer ›
Filter op bestemming 50+ datasets Eigendomsdata in één klik Percelen CRM
2.630 m2 - 245 m
Eigenaar opvragen
BMN01-I-222 (Brummen)
- 6971 JB
F3cmOTPwbAP06v ne7iit4RPnmCUpgrade naar KadastraleKaart Pro
Verkoopprijs opvragen
Bekijk op Street View
Download DWG/DXF/Excel
IGm0iMWxUpgrade naar KadastraleKaart Pro
Edu ieGhrKUJMUpgrade naar KadastraleKaart Pro
KSSMlCaPG1TJ83PilqFwUpgrade naar KadastraleKaart Pro
Har3o HnUpgrade naar KadastraleKaart Pro
r0rGcDmSJcwq3Upgrade naar KadastraleKaart Pro
1 gIMqnQnM8vytwNLR Upgrade naar KadastraleKaart Pro
RIsO6pw 5zmHUpgrade naar KadastraleKaart Pro
kx7Z5MO5Upgrade naar KadastraleKaart Pro
TRNLaSKkE2RBZ0Mk7JRsQUpgrade naar KadastraleKaart Pro
lEvgkeFSbD3OpJT VnUpgrade naar KadastraleKaart Pro
10/07/2003

Percelen
Gebruik de zoekbalk of klik op een perceel om informatie over het perceel te bekijken.