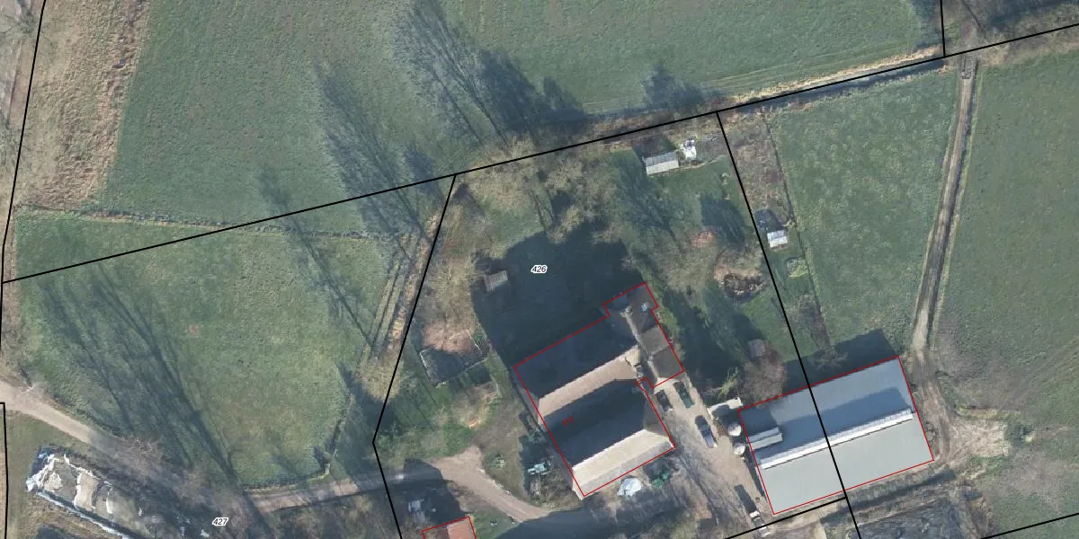
Perceel: BMN01-I-426
5.680 m2 - 297 m
Eigenaar opvragen
BMN01-I-426 (Brummen)
- 6971 JS
iGF LAGBaQeRkphvS4x4Upgrade naar KadastraleKaart Pro
Bekijk op Street View
Download DWG/DXF/Excel
JG1qqIjOq7L6 h Upgrade naar KadastraleKaart Pro
fgS WRdC Upgrade naar KadastraleKaart Pro
nYlQ6F4wp84PIxUpgrade naar KadastraleKaart Pro
E n 6m9WB 8nsLvWXyUpgrade naar KadastraleKaart Pro
L8ABsoV Upgrade naar KadastraleKaart Pro
w4rsV7fptUpgrade naar KadastraleKaart Pro
jwB1iHGZcEw5xEh6UZtG Upgrade naar KadastraleKaart Pro
kkL2dPUuwChVY6 UGq ngrIUpgrade naar KadastraleKaart Pro
2stnS3iiz2eo 48T r UXp Upgrade naar KadastraleKaart Pro
tMIGS99PUpgrade naar KadastraleKaart Pro
08/05/2003

Percelen
Gebruik de zoekbalk of klik op een perceel om informatie over het perceel te bekijken.