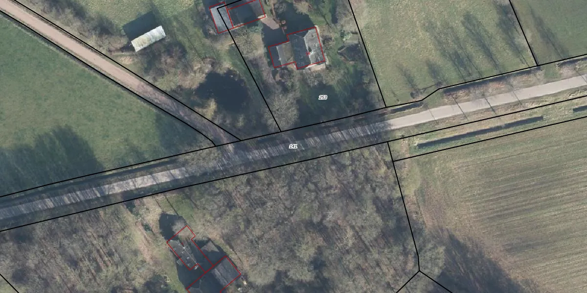
Perceel: BMN01-M-141
Geen adressen bij dit perceel
11.315 m2 - 1.851 m
Eigenaar opvragen
BMN01-M-141 (Brummen)
- Geen postcode aanwezig
dvQ0H 9 6evfzczmSUpgrade naar KadastraleKaart Pro
Bekijk op Street View
Download DWG/DXF/Excel
Q6uiCOHmEC5zJPtx8GUpgrade naar KadastraleKaart Pro
s1 R5vaD64hBraax00s7Upgrade naar KadastraleKaart Pro
DXBF015MKgrUpgrade naar KadastraleKaart Pro
QWN8hgVjf5z xUpgrade naar KadastraleKaart Pro
e3qpkzrVZDy6ZFi916n2 OFUpgrade naar KadastraleKaart Pro
pq VbmxSUpgrade naar KadastraleKaart Pro
97jDBNXq6vPKr8J4cBUpgrade naar KadastraleKaart Pro
6HVBW6pczdUpgrade naar KadastraleKaart Pro
CnguuwUfD 9TUpgrade naar KadastraleKaart Pro
vZdxWLXtnMlUpgrade naar KadastraleKaart Pro
04/02/2025

Percelen
Gebruik de zoekbalk of klik op een perceel om informatie over het perceel te bekijken.