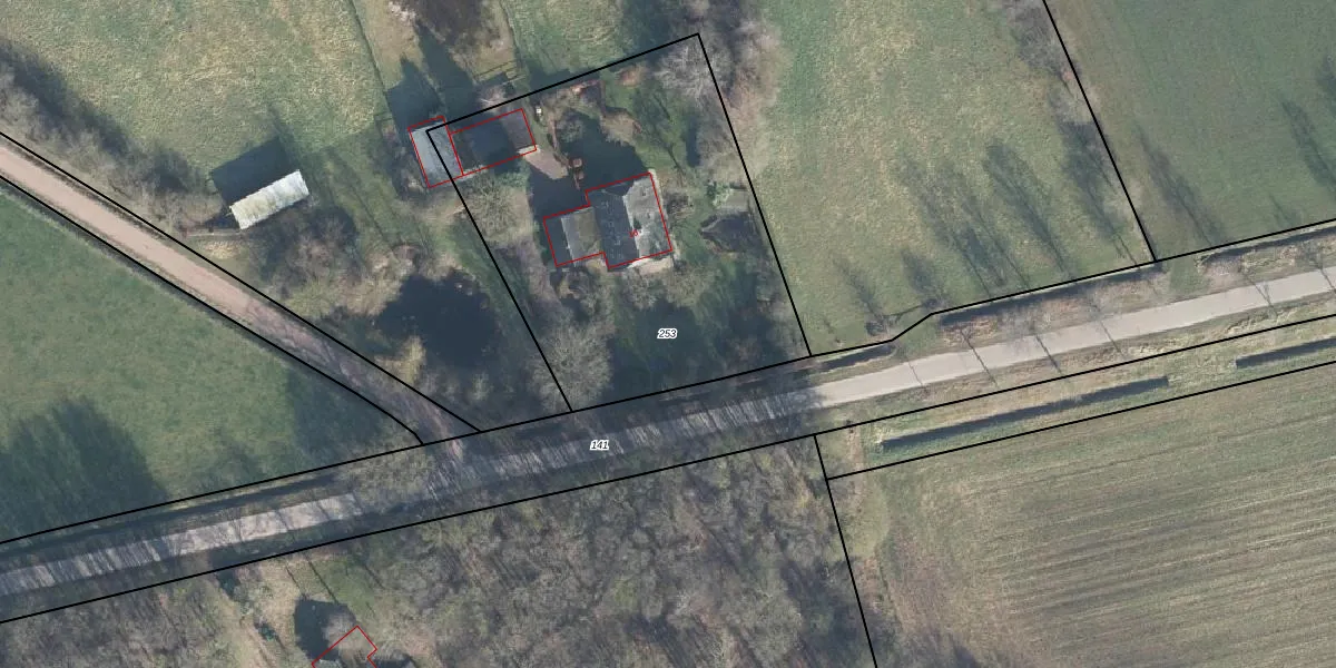
Perceel: BMN01-N-253
1.950 m2 - 178 m
Eigenaar opvragen
BMN01-N-253 (Brummen)
- 6964 CC
8kJ57rXc6 1FtvYjIMBvImNAabWUpgrade naar KadastraleKaart Pro
Bekijk op Street View
Download DWG/DXF/Excel
G UXpSVnML Upgrade naar KadastraleKaart Pro
jUUF5fBYgUpgrade naar KadastraleKaart Pro
Dm0ZwJU89d3 xeMbq qlJtUpgrade naar KadastraleKaart Pro
h40LPvUOlm5TaUpgrade naar KadastraleKaart Pro
MAAZBUKMIL RAgM01Upgrade naar KadastraleKaart Pro
PseN 1mcfvRybMN ZUpgrade naar KadastraleKaart Pro
iu leu s8ZqBwaaUpgrade naar KadastraleKaart Pro
7JQsolT4nLYd2VwTwUpgrade naar KadastraleKaart Pro
RQ8 3 xu6WMddaYbhUpgrade naar KadastraleKaart Pro
zGoZaRrcg4N7 KQCdVEY8ZUpgrade naar KadastraleKaart Pro
19/12/2001

Percelen
Gebruik de zoekbalk of klik op een perceel om informatie over het perceel te bekijken.