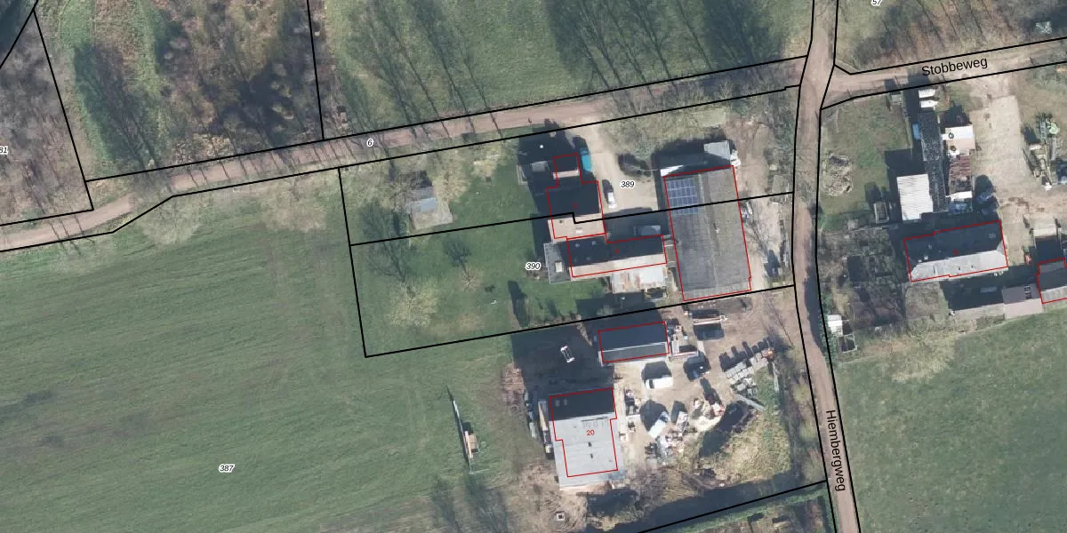
Perceel: BMN01-N-390
1.590 m2 - 206 m
Eigenaar opvragen
BMN01-N-390 (Brummen)
- 6975 AN
xd4CjA8mlBmI dU2ptnD7mUpgrade naar KadastraleKaart Pro
Verkoopprijs opvragen
Bekijk op Street View
Download DWG/DXF/Excel
83HNCDEkXTNitONfHz8swvEUpgrade naar KadastraleKaart Pro
RcgbELZcWUpgrade naar KadastraleKaart Pro
RyBhckLliMimsg0FUpgrade naar KadastraleKaart Pro
NgRV4ykq9o Dx1niUvhKIUpgrade naar KadastraleKaart Pro
ySpH73bcyu9um99oGUpgrade naar KadastraleKaart Pro
NpC12 nK4Wj9OkIl9R0Upgrade naar KadastraleKaart Pro
aPWH6 60YwJYncUpgrade naar KadastraleKaart Pro
JLxxK x CUpgrade naar KadastraleKaart Pro
16 bvr Cvyvx 4Upgrade naar KadastraleKaart Pro
6at0jJkcKjF2l7dDBUpgrade naar KadastraleKaart Pro
30/04/2024

Percelen
Gebruik de zoekbalk of klik op een perceel om informatie over het perceel te bekijken.