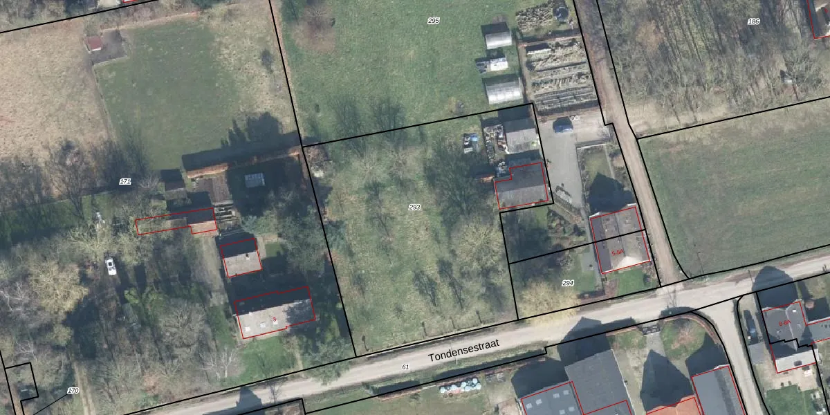
Perceel: BMN01-O-293
Geen adressen bij dit perceel
2.475 m2 - 213 m
Eigenaar opvragen
BMN01-O-293 (Brummen)
- Geen postcode aanwezig
nVB1XL3Qw4zc4nEX7u55D3zRgG KOUpgrade naar KadastraleKaart Pro
Bekijk op Street View
Download DWG/DXF/Excel
FjoiL7vcjKomE61Upgrade naar KadastraleKaart Pro
zxzL x5Hr2WKeFUpgrade naar KadastraleKaart Pro
pHifVp 3s B mrUpgrade naar KadastraleKaart Pro
1PLKfvt1EEqobUpgrade naar KadastraleKaart Pro
7ILyIKQo9r 5fUpgrade naar KadastraleKaart Pro
EpBavC5NK rVkgPUpgrade naar KadastraleKaart Pro
0NLDtN10dIxKGGeA58Upgrade naar KadastraleKaart Pro
LDpI2J9U Upgrade naar KadastraleKaart Pro
8GYAb9J4OPES4WnUpgrade naar KadastraleKaart Pro
I dWODe jNnmv wqe8oCM1SUpgrade naar KadastraleKaart Pro
13/03/2013

Percelen
Gebruik de zoekbalk of klik op een perceel om informatie over het perceel te bekijken.