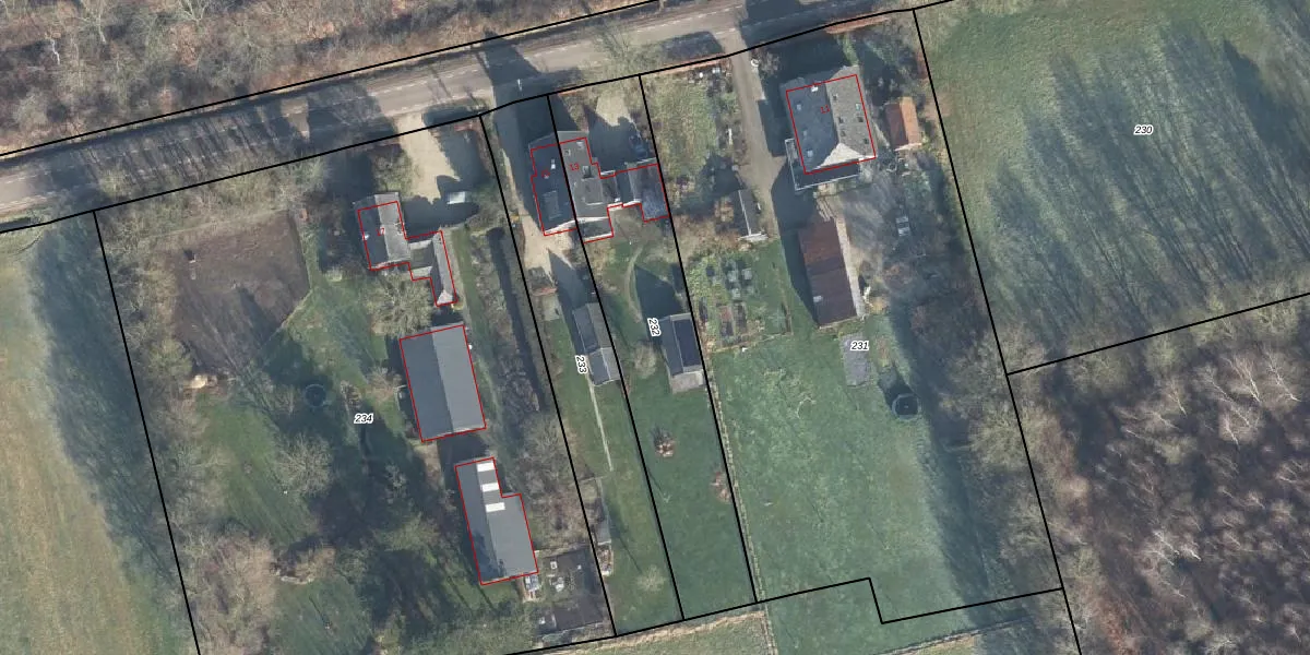
Perceel: BMN01-P-232
KadastraleKaart.com kan meer dan je denktOntdek meer ›
Filter op bestemming 50+ datasets Eigendomsdata in één klik Percelen CRM
1.075 m2 - 191 m
Eigenaar opvragen
BMN01-P-232 (Brummen)
- 6971 KN
1G6HDyy44G7B VorHyCNDqAXBa1l0Upgrade naar KadastraleKaart Pro
Verkoopprijs opvragen
Bekijk op Street View
Download DWG/DXF/Excel
sA m2nValjF3V8x IbUpgrade naar KadastraleKaart Pro
DciviOb5TzfRUpgrade naar KadastraleKaart Pro
ozAOuuacL HvZkUpgrade naar KadastraleKaart Pro
rwzyTfOxNERSd2Upgrade naar KadastraleKaart Pro
Thash3NEfCy8S Oq8HFkDUpgrade naar KadastraleKaart Pro
KLw 5koM7257sDYh6XUpgrade naar KadastraleKaart Pro
R VysuZ FWOPCupqQ2LNiUpgrade naar KadastraleKaart Pro
o G0o0BRbWHH6KY1nUpgrade naar KadastraleKaart Pro
QKY0XoeWXn6fo whpPYuVQUpgrade naar KadastraleKaart Pro
QacGX5yWy G amQPVNe5cmUpgrade naar KadastraleKaart Pro
25/09/2002

Percelen
Gebruik de zoekbalk of klik op een perceel om informatie over het perceel te bekijken.