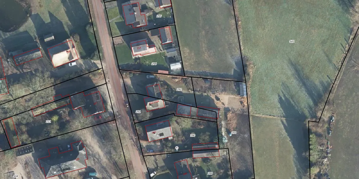
Perceel: BMN01-P-292
555 m2 - 112 m
Eigenaar opvragen
BMN01-P-292 (Brummen)
- 6971 KC
6ug xFm0K0BqU56R U5DUpgrade naar KadastraleKaart Pro
Verkoopprijs opvragen
Bekijk op Street View
Download DWG/DXF/Excel
I lzMqi5Cyi4UMFGmUpgrade naar KadastraleKaart Pro
KMdOZ7KJgWXka0 ScBa1v iUpgrade naar KadastraleKaart Pro
iqkVMtOsUpgrade naar KadastraleKaart Pro
Kgq3o M pv qebKzm7qiUpgrade naar KadastraleKaart Pro
J2drC j7j2 A9ZkrgkUpgrade naar KadastraleKaart Pro
fYfdMNYY1uNYq8XUpgrade naar KadastraleKaart Pro
GJgHZTj 6exBDNqZ rVdp3Upgrade naar KadastraleKaart Pro
XVErywMTEUpgrade naar KadastraleKaart Pro
T4KQMsReG3R Upgrade naar KadastraleKaart Pro
S6aQj2YAIJj7GsiMiUpgrade naar KadastraleKaart Pro
14/08/2002

Percelen
Gebruik de zoekbalk of klik op een perceel om informatie over het perceel te bekijken.