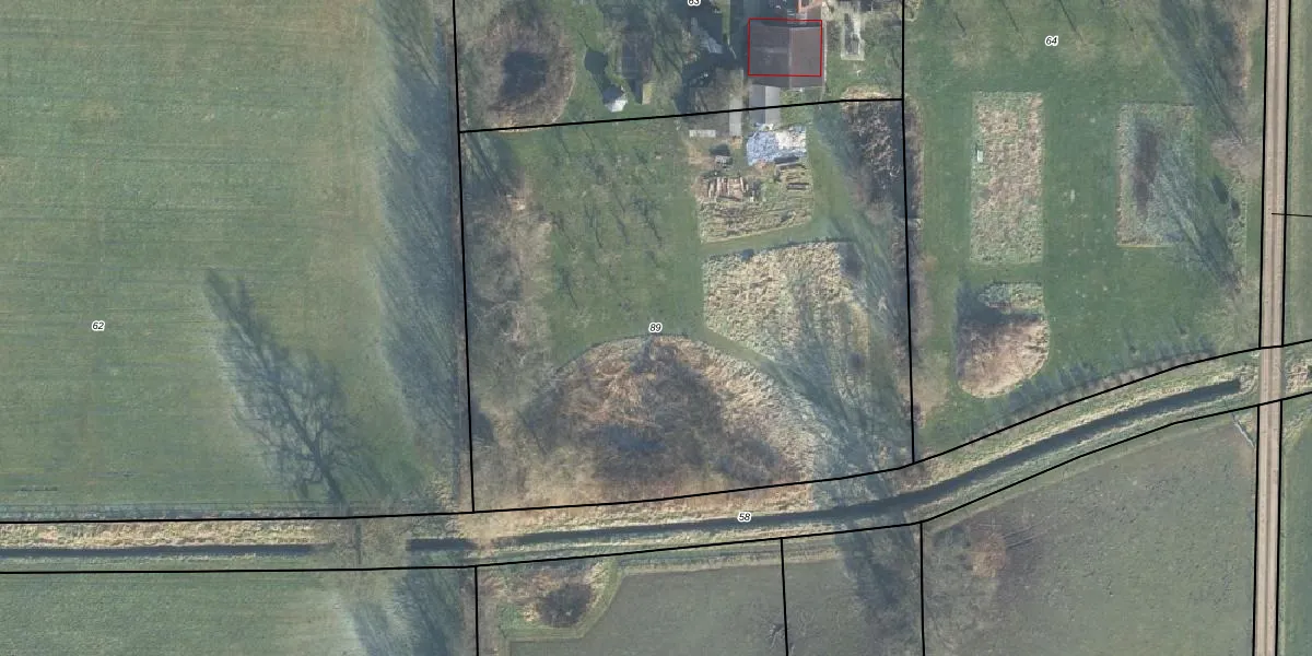
Perceel: BMN01-P-89
Geen adressen bij dit perceel
3.900 m2 - 249 m
Eigenaar opvragen
BMN01-P-89 (Brummen)
- Geen postcode aanwezig
fr6Zhivsg 8hZf oa62L LzY VIUpgrade naar KadastraleKaart Pro
Bekijk op Street View
Download DWG/DXF/Excel
d Kdlu96xjiMYsUpgrade naar KadastraleKaart Pro
ZtHuemI0ArzX PSRx1Upgrade naar KadastraleKaart Pro
03B5S2h3F2Ty6a9KXwUpgrade naar KadastraleKaart Pro
JwF y UZpTTo4lUpgrade naar KadastraleKaart Pro
k zzP wNYmec8H1 Hlz Upgrade naar KadastraleKaart Pro
LhpbJleyoVVy DYYUpgrade naar KadastraleKaart Pro
MQZn0v1YzKdT2sUpgrade naar KadastraleKaart Pro
fIPXA8unlOUpgrade naar KadastraleKaart Pro
H EEu4l26Ncddfj2ssUpgrade naar KadastraleKaart Pro
GJzFssBFw Upgrade naar KadastraleKaart Pro
04/06/2003

Percelen
Gebruik de zoekbalk of klik op een perceel om informatie over het perceel te bekijken.