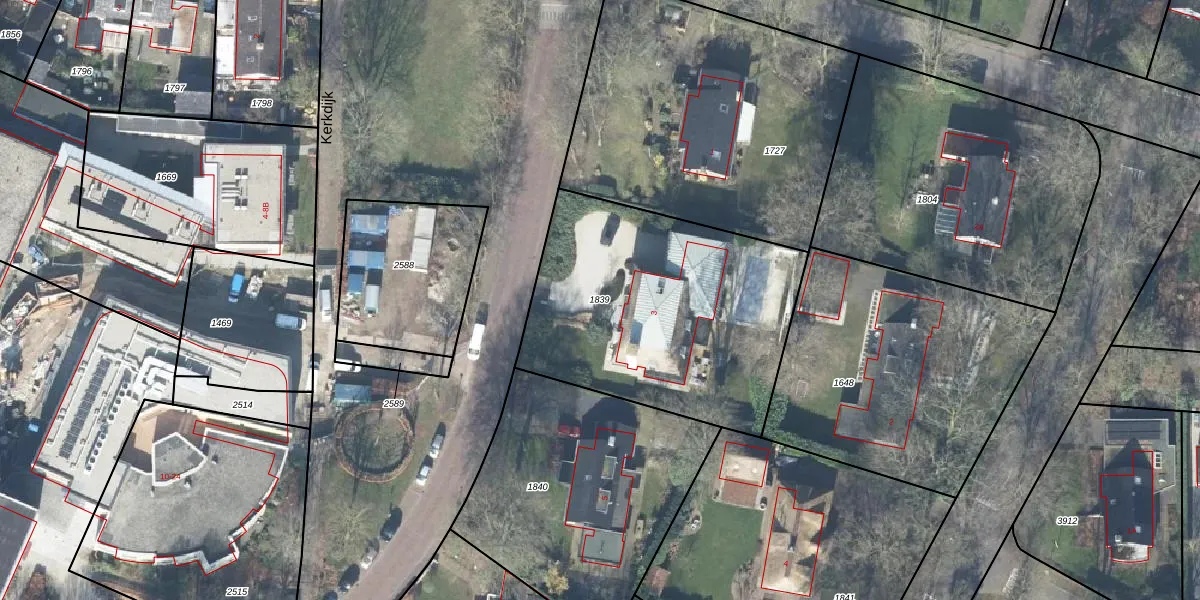
Perceel: BMN02-C-1839
KadastraleKaart.com kan meer dan je denktOntdek meer ›
Filter op bestemming 50+ datasets Eigendomsdata in één klik Percelen CRM
1.360 m2 - 148 m
Eigenaar opvragen
BMN02-C-1839 (Bathmen)
- 7437 BD
OjCrbXBZ 0lQDcpKg82TbJUpgrade naar KadastraleKaart Pro
Verkoopprijs opvragen
Bekijk op Street View
Download DWG/DXF/Excel
OKbOFukWXBr8n Ke RdBUpgrade naar KadastraleKaart Pro
DyJ WNoUXjf2Upgrade naar KadastraleKaart Pro
6M1Rf3B xeFfeG5t3T7hUpgrade naar KadastraleKaart Pro
RehwG M2GUpgrade naar KadastraleKaart Pro
bBOocTLIlWaUpgrade naar KadastraleKaart Pro
uLOEAE3faUpgrade naar KadastraleKaart Pro
z1AxBSnBUpgrade naar KadastraleKaart Pro
T00rMhunjQaRihvC lhUpgrade naar KadastraleKaart Pro
iWgVRTGvSSYAUpgrade naar KadastraleKaart Pro
T4gQYz6F5aTUpgrade naar KadastraleKaart Pro
30/03/2005

Percelen
Gebruik de zoekbalk of klik op een perceel om informatie over het perceel te bekijken.