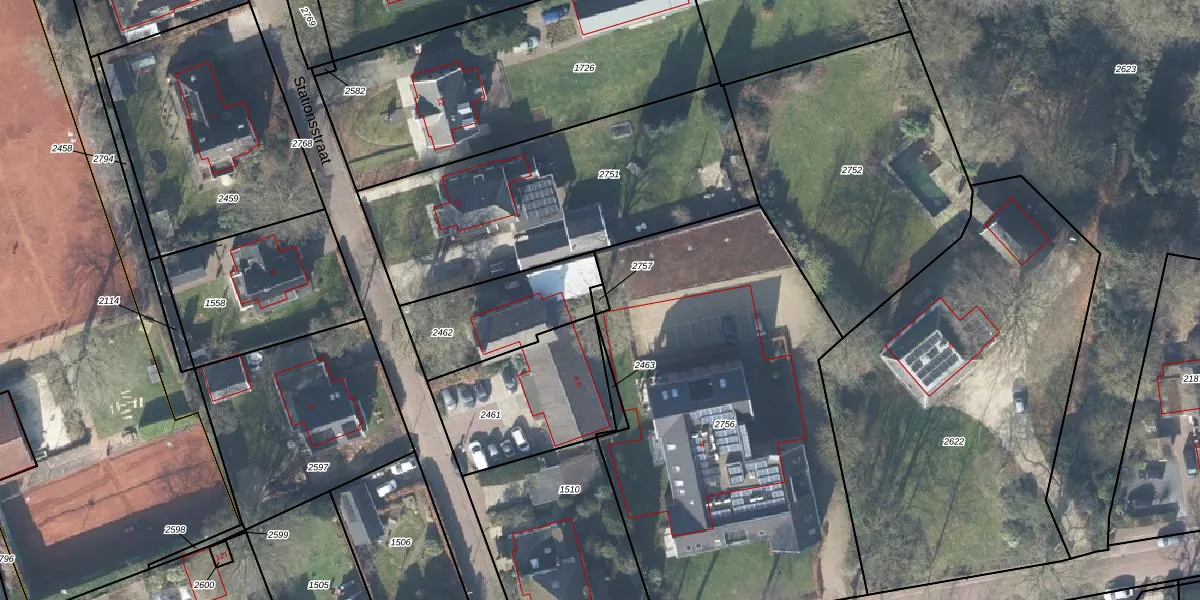
Perceel: BMN02-C-2757
KadastraleKaart.com kan meer dan je denktOntdek meer ›
Filter op bestemming 50+ datasets Eigendomsdata in één klik Percelen CRM
Geen adressen bij dit perceel
11 m2 - 14 m
Eigenaar opvragen
BMN02-C-2757 (Bathmen)
- Geen postcode aanwezig
gwMWp3ZUc CwG bPsvic5gfBUpgrade naar KadastraleKaart Pro
Bekijk op Street View
Download DWG/DXF/Excel
l5Mc2gBlvgZYdmnAot SUpgrade naar KadastraleKaart Pro
SK1tJKH1nziDWgNHm0XUpgrade naar KadastraleKaart Pro
AT2RlymL2r 1Xs44RiCUpgrade naar KadastraleKaart Pro
8cLtYaiQigeHImXakxPTWUpgrade naar KadastraleKaart Pro
wi bOBUt9AGYUpgrade naar KadastraleKaart Pro
DkZQK LFDrQG nFAzhQ cUpgrade naar KadastraleKaart Pro
tC1VismPg LN6hvFZhk0gUpgrade naar KadastraleKaart Pro
nNqA 2 iY1SnUpgrade naar KadastraleKaart Pro
Wfx7vFgRb5IXkVjsbOJUpgrade naar KadastraleKaart Pro
dDy526E2T h8Z8 2mok2t AUpgrade naar KadastraleKaart Pro
16/04/2019

Percelen
Gebruik de zoekbalk of klik op een perceel om informatie over het perceel te bekijken.