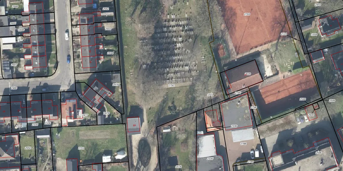
Perceel: BMN02-C-2792
KadastraleKaart.com kan meer dan je denktOntdek meer ›
Filter op bestemming 50+ datasets Eigendomsdata in één klik Percelen CRM
7.010 m2 - 449 m
Eigenaar opvragen
BMN02-C-2792 (Bathmen)
- 7437 BJ
d aHRfiPeBp2lQD Upgrade naar KadastraleKaart Pro
Bekijk op Street View
Download DWG/DXF/Excel
bAuoJJ0Zjx3Sy Upgrade naar KadastraleKaart Pro
x7cmF txVLswBl3Upgrade naar KadastraleKaart Pro
0IrVNUfWOAmm7Upgrade naar KadastraleKaart Pro
gU2BUTd2 zNIA 7VuL7 Upgrade naar KadastraleKaart Pro
FMhcqE Vsd0nUpgrade naar KadastraleKaart Pro
OJC69 T skQKXyiUpgrade naar KadastraleKaart Pro
E5rYu Se5 pXVx45INfUpgrade naar KadastraleKaart Pro
Uz1d5MTwZEckew hD5AlUpgrade naar KadastraleKaart Pro
qfbF OYXm371Upgrade naar KadastraleKaart Pro
m3F9mX0lsAqN0Rhxwagl2t Upgrade naar KadastraleKaart Pro
19/09/2025

Percelen
Gebruik de zoekbalk of klik op een perceel om informatie over het perceel te bekijken.