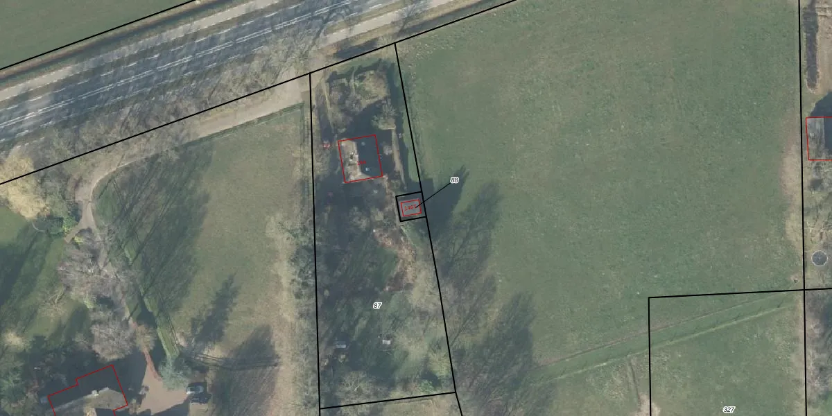
Perceel: BMN02-E-88
KadastraleKaart.com kan meer dan je denktOntdek meer ›
Filter op bestemming 50+ datasets Eigendomsdata in één klik Percelen CRM
38 m2 - 25 m
Eigenaar opvragen
BMN02-E-88 (Bathmen)
- Geen postcode aanwezig
RJZ7DVVbpqp2b5y Ve1Upgrade naar KadastraleKaart Pro
Bekijk op Street View
Download DWG/DXF/Excel
Nzz6uRhVRx3AQ QUpgrade naar KadastraleKaart Pro
vVR Ar c3 6 R5wZwCUpgrade naar KadastraleKaart Pro
9dZRs2xre2scfj5y5 7Upgrade naar KadastraleKaart Pro
g5sPLQpSzBnBNlklUUUpgrade naar KadastraleKaart Pro
V1 0hyqetCUpgrade naar KadastraleKaart Pro
HFtKUV6CCfsozMVQwB Upgrade naar KadastraleKaart Pro
E NvoWwAPvUpgrade naar KadastraleKaart Pro
WqDmPRnwvJAJAjF CUpgrade naar KadastraleKaart Pro
uc dxExvCctUpgrade naar KadastraleKaart Pro
G57X861 Upgrade naar KadastraleKaart Pro
07/01/2003

Percelen
Gebruik de zoekbalk of klik op een perceel om informatie over het perceel te bekijken.