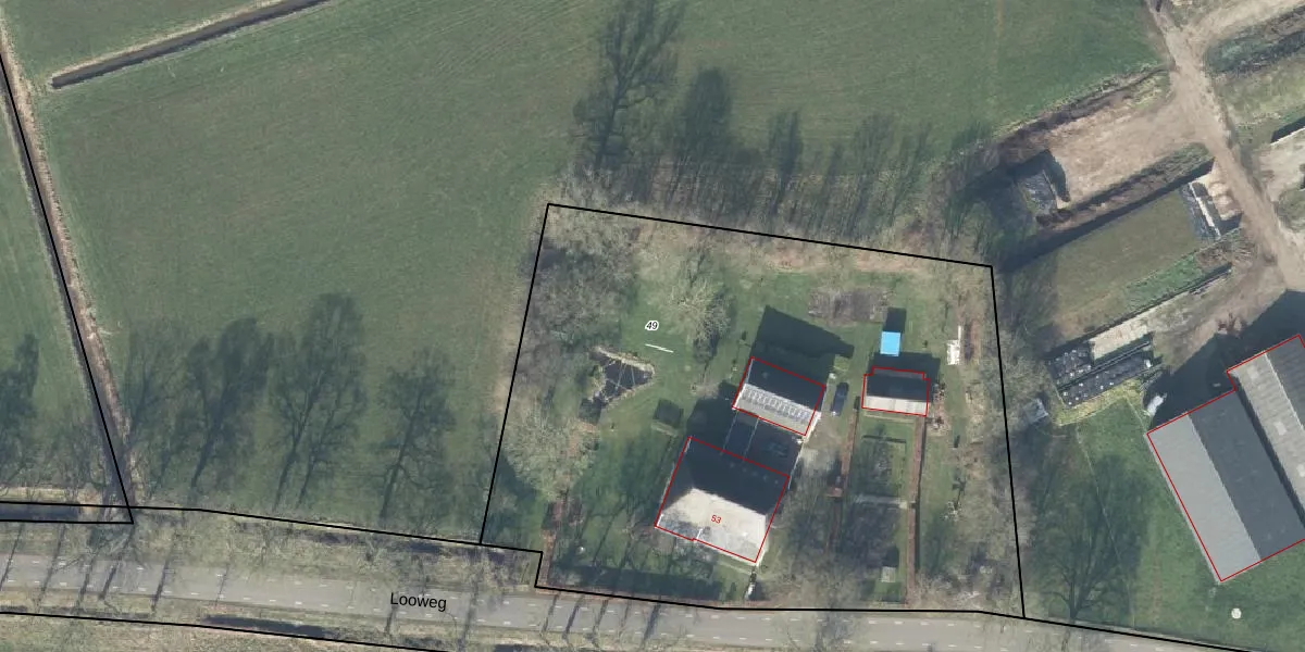
Perceel: BMN02-G-49
KadastraleKaart.com kan meer dan je denktOntdek meer ›
Filter op bestemming 50+ datasets Eigendomsdata in één klik Percelen CRM
4.280 m2 - 266 m
Eigenaar opvragen
BMN02-G-49 (Bathmen)
- 7437 RP
vgUguQ4y p o1dPgVmkW 5DUpgrade naar KadastraleKaart Pro
Verkoopprijs opvragen
Bekijk op Street View
Download DWG/DXF/Excel
DJa3Db E7 VAEMUpgrade naar KadastraleKaart Pro
EA95Y85 GenjW oLiLOUpgrade naar KadastraleKaart Pro
ffK l7pt6PKUpgrade naar KadastraleKaart Pro
A5SVLz N3ZmUODaxUUpgrade naar KadastraleKaart Pro
tuSo pBUhjNCFLDtLzKUpgrade naar KadastraleKaart Pro
D0oOeBPKZ49mnO4kUpgrade naar KadastraleKaart Pro
Wn ekwGxqKh6OMxU Upgrade naar KadastraleKaart Pro
seXbz4W hXR tUfTEVIMUpgrade naar KadastraleKaart Pro
1T9PDvU Upgrade naar KadastraleKaart Pro
rfhALkv3Upgrade naar KadastraleKaart Pro
09/01/2003

Percelen
Gebruik de zoekbalk of klik op een perceel om informatie over het perceel te bekijken.