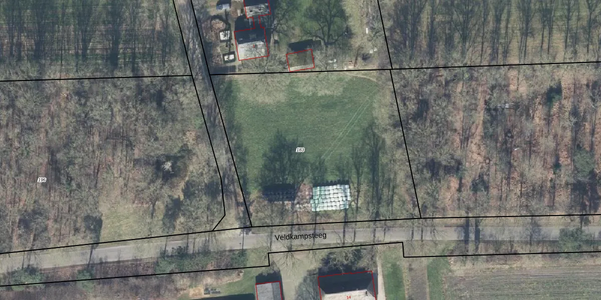
Perceel: BMN02-K-183
KadastraleKaart.com kan meer dan je denktOntdek meer ›
Filter op bestemming 50+ datasets Eigendomsdata in één klik Percelen CRM
Geen adressen bij dit perceel
2.947 m2 - 220 m
Eigenaar opvragen
BMN02-K-183 (Bathmen)
- Geen postcode aanwezig
VBB6rLdzimyiktj 6Jw842tiqWE TtUpgrade naar KadastraleKaart Pro
Bekijk op Street View
Download DWG/DXF/Excel
DxauVOX4pL28AUpgrade naar KadastraleKaart Pro
STz 1fsMjUCRoZ0zNf tiUpgrade naar KadastraleKaart Pro
PK kjuzL 5jbN3Upgrade naar KadastraleKaart Pro
g3AON1 uLkISv3b UUpgrade naar KadastraleKaart Pro
D Je5QwUpgrade naar KadastraleKaart Pro
SYSpHpfqjd4oeHUpgrade naar KadastraleKaart Pro
GQjUOvxQ92tUpgrade naar KadastraleKaart Pro
v0BUgkeKN3zUpgrade naar KadastraleKaart Pro
62hh fGtdvWFwubIr9Upgrade naar KadastraleKaart Pro
UmDNyvhWAAB0PAeREPTxZUpgrade naar KadastraleKaart Pro
09/01/2003

Percelen
Gebruik de zoekbalk of klik op een perceel om informatie over het perceel te bekijken.