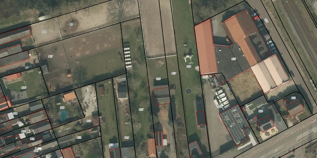
Perceel: BMR00-C-816
KadastraleKaart.com kan meer dan je denktOntdek meer ›
Filter op bestemming 50+ datasets Eigendomsdata in één klik Percelen CRM
1.585 m2 - 278 m
Eigenaar opvragen
BMR00-C-816 (Boxmeer)
- 5831 AC
7kLjEeOUsNTKzjMXGmUpgrade naar KadastraleKaart Pro
Bekijk op Street View
Download DWG/DXF/Excel
bfBBI7mbEUpgrade naar KadastraleKaart Pro
2KMHCou HIUpgrade naar KadastraleKaart Pro
xb u9UxMUpgrade naar KadastraleKaart Pro
1ABjGeR Upgrade naar KadastraleKaart Pro
gLEBw8yIYPzrvsUpgrade naar KadastraleKaart Pro
DlwtXdFbh QQmfEKwnsQ Upgrade naar KadastraleKaart Pro
7j7u2w zK8t0l7NQIcdUpgrade naar KadastraleKaart Pro
ga QjLSvj O4o LZUpgrade naar KadastraleKaart Pro
cXeJ3GRXqoUpgrade naar KadastraleKaart Pro
7uq1uFkfIaLDpCeKaNx PoUpgrade naar KadastraleKaart Pro
22/02/2007

Percelen
Gebruik de zoekbalk of klik op een perceel om informatie over het perceel te bekijken.