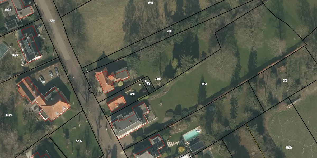
Perceel: BMR00-E-1016
KadastraleKaart.com kan meer dan je denktOntdek meer ›
Filter op bestemming 50+ datasets Eigendomsdata in één klik Percelen CRM
2.078 m2 - 290 m
Eigenaar opvragen
BMR00-E-1016 (Boxmeer)
- 5831 HH
x BfEwbfFf3Q2y7w5KgUpgrade naar KadastraleKaart Pro
Verkoopprijs opvragen
Bekijk op Street View
Download DWG/DXF/Excel
pFF8272lOulx j8Upgrade naar KadastraleKaart Pro
tiC lAT9v61m8hlZrhIUpgrade naar KadastraleKaart Pro
6Iac 3tNIz2Upgrade naar KadastraleKaart Pro
R5L29zwB9nb0m1Upgrade naar KadastraleKaart Pro
jl0TviOaKs7ZZq9 Rw wwUpgrade naar KadastraleKaart Pro
V1ePPAWfvLQ9QpAlUpgrade naar KadastraleKaart Pro
fYWD4U8Aobu ptUpgrade naar KadastraleKaart Pro
rGwNpluiAXx88lsFHGZ3GUpgrade naar KadastraleKaart Pro
WNEXqIbAUpgrade naar KadastraleKaart Pro
dId SlJbV djhq9GWUpgrade naar KadastraleKaart Pro
27/02/2025

Percelen
Gebruik de zoekbalk of klik op een perceel om informatie over het perceel te bekijken.