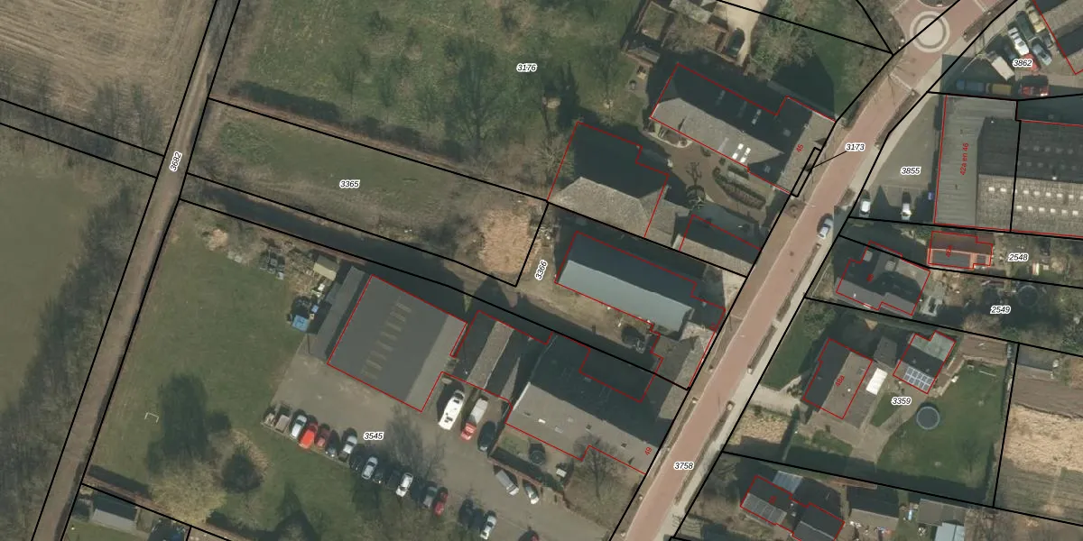
Perceel: BMR00-F-3366
KadastraleKaart.com kan meer dan je denktOntdek meer ›
Filter op bestemming 50+ datasets Eigendomsdata in één klik Percelen CRM
1.196 m2 - 250 m
Eigenaar opvragen
BMR00-F-3366 (Boxmeer)
- 5835 AG
IvRc8JKl6AykGFKFu1Y2MX0BKqDBMUOUpgrade naar KadastraleKaart Pro
Bekijk op Street View
Download DWG/DXF/Excel
F8GX7 VIxQD pa1zIL0g9nUpgrade naar KadastraleKaart Pro
HDDG4IvD gAOMgvOn OUpgrade naar KadastraleKaart Pro
rwzehV3S 8 7Fo1hNWUpgrade naar KadastraleKaart Pro
g2Cw wcTd6Upgrade naar KadastraleKaart Pro
T vLHSNUpgrade naar KadastraleKaart Pro
AgHhX1p Upgrade naar KadastraleKaart Pro
abM2ypd 36ZUpgrade naar KadastraleKaart Pro
L TFJMTczjSneJLUpgrade naar KadastraleKaart Pro
It ModswbmD64OOUpgrade naar KadastraleKaart Pro
uudGnooYkxI4NsdIPedDAVUpgrade naar KadastraleKaart Pro
08/03/2007

Percelen
Gebruik de zoekbalk of klik op een perceel om informatie over het perceel te bekijken.