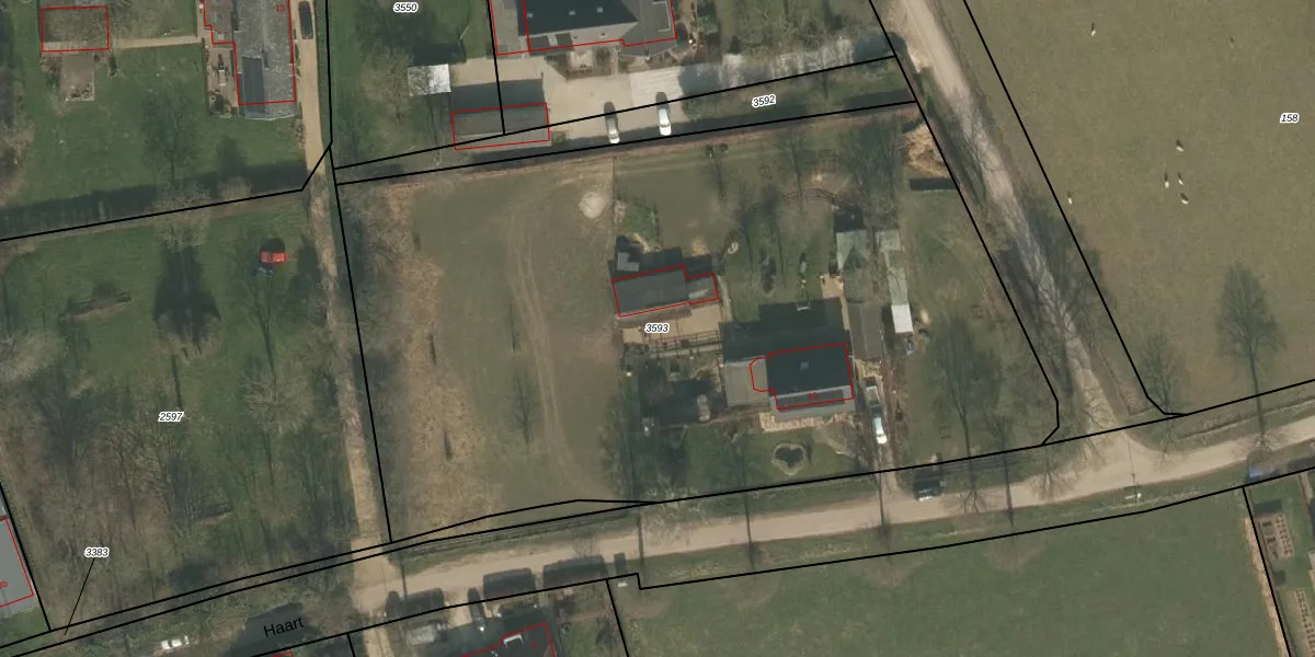
Perceel: BMR00-F-3593
5.482 m2 - 303 m
Eigenaar opvragen
BMR00-F-3593 (Boxmeer)
- 5835 CS
WTf1FOgr5lsj8EzYc bU hUpgrade naar KadastraleKaart Pro
Bekijk op Street View
Download DWG/DXF/Excel
9 Nr9Ha9UUpgrade naar KadastraleKaart Pro
HVLmyQrK 6pBPxwUpgrade naar KadastraleKaart Pro
AKd nKQ r Up6ZDblUpgrade naar KadastraleKaart Pro
g0vo9FMLARuDUpgrade naar KadastraleKaart Pro
ONzxHEh6IHZwwrUpgrade naar KadastraleKaart Pro
QUuw0 rDvUVmUpgrade naar KadastraleKaart Pro
CIAokt c1CyUpgrade naar KadastraleKaart Pro
PKrPYCgfjJUMN tcz 5CNiUpgrade naar KadastraleKaart Pro
5 btYZzu9VmnAl2Upgrade naar KadastraleKaart Pro
7jU2tEEUUmOjFKXnFeWOUpgrade naar KadastraleKaart Pro
22/03/2007

Percelen
Gebruik de zoekbalk of klik op een perceel om informatie over het perceel te bekijken.