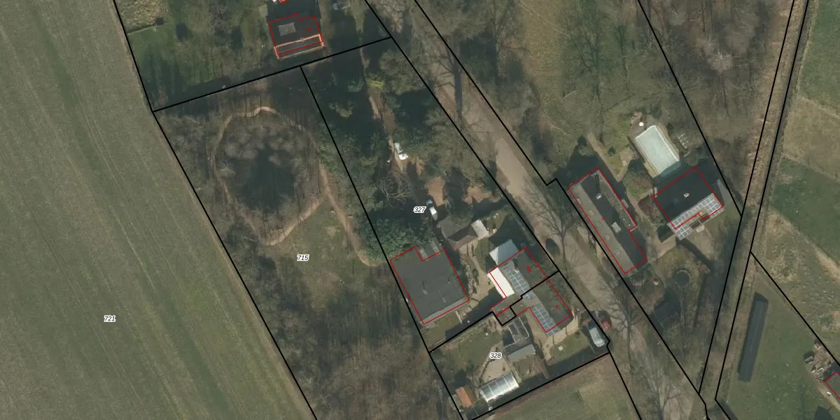
Perceel: BMR00-R-327
KadastraleKaart.com kan meer dan je denktOntdek meer ›
Filter op bestemming 50+ datasets Eigendomsdata in één klik Percelen CRM
2.125 m2 - 210 m
Eigenaar opvragen
BMR00-R-327 (Boxmeer)
- 5835 CL
Awsw1au X 0ROnibA0Wkm8oKbCAUpgrade naar KadastraleKaart Pro
Bekijk op Street View
Download DWG/DXF/Excel
lHlRJ TKksVHVjUFXsNOZUpgrade naar KadastraleKaart Pro
xV NZwLbZUpgrade naar KadastraleKaart Pro
MbOg7hNSN6SBrpZ21MUpgrade naar KadastraleKaart Pro
6Z 7JX2q1pAkUOiY oi kl2Upgrade naar KadastraleKaart Pro
dzP l6s3tXDaUpgrade naar KadastraleKaart Pro
gwbx4rtM1s9cUpgrade naar KadastraleKaart Pro
3C9Dm7b8STHNe81GQDUpgrade naar KadastraleKaart Pro
BbNLmHkNtYoCcNc UUpgrade naar KadastraleKaart Pro
h 7l3oni08VN7pEUpgrade naar KadastraleKaart Pro
RY 3cZzjUpgrade naar KadastraleKaart Pro
09/03/2007

Percelen
Gebruik de zoekbalk of klik op een perceel om informatie over het perceel te bekijken.