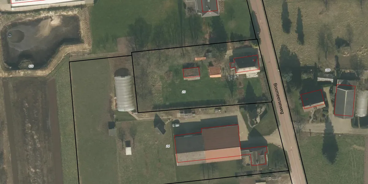
Perceel: BMR00-S-23
KadastraleKaart.com kan meer dan je denktOntdek meer ›
Filter op bestemming 50+ datasets Eigendomsdata in één klik Percelen CRM
2.405 m2 - 210 m
Eigenaar opvragen
BMR00-S-23 (Boxmeer)
- 5835 AC
rpZED3Zuvr4Bv yYUpgrade naar KadastraleKaart Pro
Bekijk op Street View
Download DWG/DXF/Excel
Vqe1b5jjNRUpgrade naar KadastraleKaart Pro
iU7rWeQmppGiLxUpgrade naar KadastraleKaart Pro
N rgm 3QR kgYTUpgrade naar KadastraleKaart Pro
d1WU6r LI nwUpgrade naar KadastraleKaart Pro
iBXOA3buXIwN7BBUpgrade naar KadastraleKaart Pro
lCmCPJZsB8RLKL Upgrade naar KadastraleKaart Pro
e7 1 vR YLuH gZXagkoKUpgrade naar KadastraleKaart Pro
YthmO1CyeD9WGfpDPs bUpgrade naar KadastraleKaart Pro
GoVI Tjjzy9p7E 8x94Upgrade naar KadastraleKaart Pro
qnVC5e59RhEh1Db Upgrade naar KadastraleKaart Pro
07/03/2012

Percelen
Gebruik de zoekbalk of klik op een perceel om informatie over het perceel te bekijken.