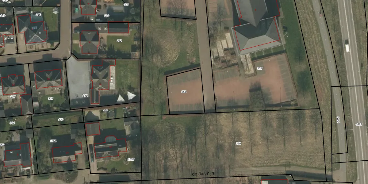
Perceel: BMR00-S-551
KadastraleKaart.com kan meer dan je denktOntdek meer ›
Filter op bestemming 50+ datasets Eigendomsdata in één klik Percelen CRM
Geen adressen bij dit perceel
433 m2 - 84 m
Eigenaar opvragen
BMR00-S-551 (Boxmeer)
- Geen postcode aanwezig
X ASbX6MyqsQ1fYVvUpgrade naar KadastraleKaart Pro
Bekijk op Street View
Download DWG/DXF/Excel
DWTZ0BdkAhUpgrade naar KadastraleKaart Pro
ZwDsuEBmnV Upgrade naar KadastraleKaart Pro
vI fWop1ySl5E LyeUpgrade naar KadastraleKaart Pro
2yLcfaDBULNVUpgrade naar KadastraleKaart Pro
aGMazAUSrjE3Upgrade naar KadastraleKaart Pro
o ah6skMr2HdC0F8mMGwqJdUpgrade naar KadastraleKaart Pro
vL27cZmP6TIy0OUpgrade naar KadastraleKaart Pro
1mJ9LzgExPyossUpgrade naar KadastraleKaart Pro
p1YUM9BMUpgrade naar KadastraleKaart Pro
LIx76PXv dfDKdUpgrade naar KadastraleKaart Pro
21/02/2011

Percelen
Gebruik de zoekbalk of klik op een perceel om informatie over het perceel te bekijken.