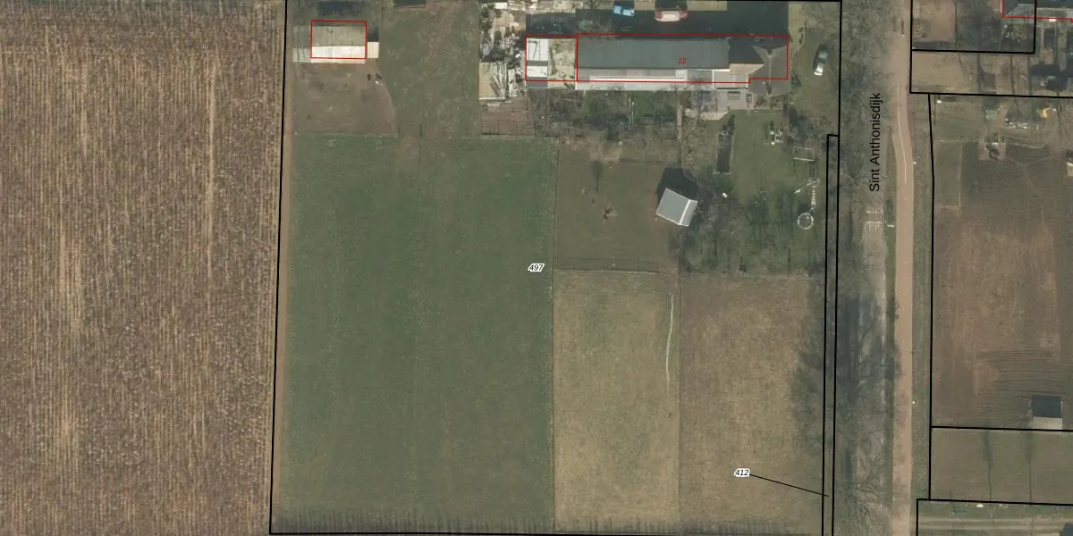
Perceel: BMR00-X-497
KadastraleKaart.com kan meer dan je denktOntdek meer ›
Filter op bestemming 50+ datasets Eigendomsdata in één klik Percelen CRM
10.250 m2 - 410 m
Eigenaar opvragen
BMR00-X-497 (Boxmeer)
- 5447 NJ
OOldueyw5SJs Lc2yb3fS 6 4tMwEUpgrade naar KadastraleKaart Pro
Bekijk op Street View
Download DWG/DXF/Excel
AJgac MTyqFrUpgrade naar KadastraleKaart Pro
3LNtff23m aPRLB4 b gpxUpgrade naar KadastraleKaart Pro
rMEEfJ C3R YUpgrade naar KadastraleKaart Pro
f 1iGPq8jC4ZRfeIHTrUpgrade naar KadastraleKaart Pro
lqT5vwQmfvUpgrade naar KadastraleKaart Pro
rirYgyWph8DZentXGVJUpgrade naar KadastraleKaart Pro
11jDLRKR0i3mz11s5LxiamjUpgrade naar KadastraleKaart Pro
t lIB P UlAUpgrade naar KadastraleKaart Pro
m wLr0NKeUpgrade naar KadastraleKaart Pro
TmwH CcZARi99 HeaJ TZqrUpgrade naar KadastraleKaart Pro
05/03/2010

Percelen
Gebruik de zoekbalk of klik op een perceel om informatie over het perceel te bekijken.