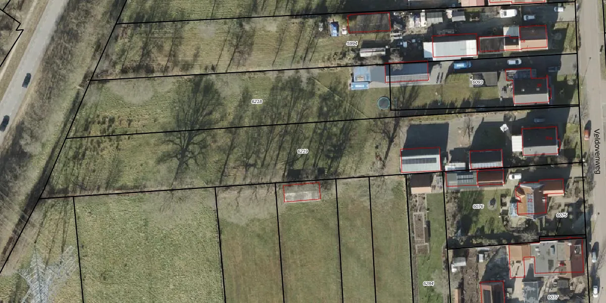
Perceel: BNE00-D-6219
3.265 m2 - 390 m
Eigenaar opvragen
BNE00-D-6219 (Borne)
- 7621 GR
TsAr9btIdXKNc9HIlVuAQFmgjJdtUpgrade naar KadastraleKaart Pro
Bekijk op Street View
Download DWG/DXF/Excel
RbjGTf6HJ2XUpgrade naar KadastraleKaart Pro
IjVV1o 6XQio2kSjhZKLUpgrade naar KadastraleKaart Pro
2NR AklOBNKK8awUpgrade naar KadastraleKaart Pro
Vr7M714Cq1 Pydesu9Upgrade naar KadastraleKaart Pro
6 m JsF0MO4JUpgrade naar KadastraleKaart Pro
aMVDO7bauRNEjzrevM0Uss5Upgrade naar KadastraleKaart Pro
5aS8eCs 7KKDUpgrade naar KadastraleKaart Pro
DPqjtw k9WUpgrade naar KadastraleKaart Pro
0gGZO82PUY6mb48T4PUpgrade naar KadastraleKaart Pro
HI8AD ClUpgrade naar KadastraleKaart Pro
13/11/2017

Percelen
Gebruik de zoekbalk of klik op een perceel om informatie over het perceel te bekijken.