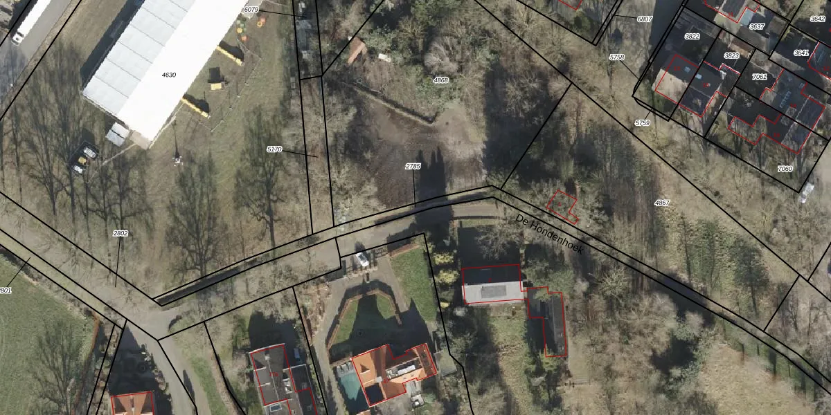
Perceel: BNE00-E-2785
Geen adressen bij dit perceel
440 m2 - 372 m
Eigenaar opvragen
BNE00-E-2785 (Borne)
- Geen postcode aanwezig
r399tOznHhJlQ41k9hzyxF5LlUpgrade naar KadastraleKaart Pro
Bekijk op Street View
Download DWG/DXF/Excel
qr 44Sb1vzqyRjmEzUpgrade naar KadastraleKaart Pro
LuQnCXiOpS e0AgrA4LXQ Upgrade naar KadastraleKaart Pro
4WUB HGjF RzUpgrade naar KadastraleKaart Pro
m2SN eBZcI75OnOJVsUpgrade naar KadastraleKaart Pro
LiLXGvLT8 gRT0y b7Upgrade naar KadastraleKaart Pro
sNm2dpDNlUpgrade naar KadastraleKaart Pro
wBdp zU8s0D 4ITEDG0oUUpgrade naar KadastraleKaart Pro
ruJ36L yJl2XGehD3Upgrade naar KadastraleKaart Pro
o9g9MloOw bdiqTUpgrade naar KadastraleKaart Pro
UO0A6fbT20SIUpgrade naar KadastraleKaart Pro
08/05/2003

Percelen
Gebruik de zoekbalk of klik op een perceel om informatie over het perceel te bekijken.