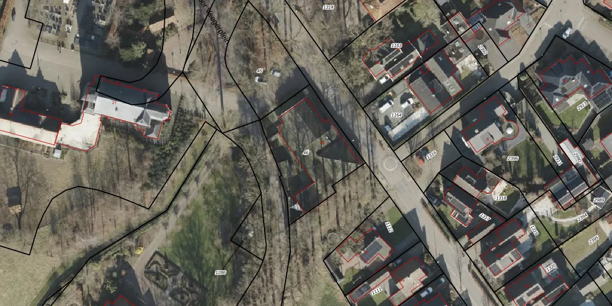
Perceel: BNE00-M-46
806 m2 - 123 m
Eigenaar opvragen
BNE00-M-46 (Borne)
- 7626 LV
B EN67NPgvT AXzo8AUpgrade naar KadastraleKaart Pro
Verkoopprijs opvragen
Bekijk op Street View
Download DWG/DXF/Excel
n50s nZriO9jIlME3Upgrade naar KadastraleKaart Pro
ga5pU1UFFGZsvUpgrade naar KadastraleKaart Pro
sfKIlQ 0Oc37Upgrade naar KadastraleKaart Pro
nWDe JNlZNUpgrade naar KadastraleKaart Pro
58c6dC6zUpgrade naar KadastraleKaart Pro
mh2DfA m JGKAW7Upgrade naar KadastraleKaart Pro
8G3tm9O2zKLovfUpgrade naar KadastraleKaart Pro
lRXzH5b2dzW591Upgrade naar KadastraleKaart Pro
riFOVgdXNp G sMUpgrade naar KadastraleKaart Pro
xcTME0fcbBi EUpgrade naar KadastraleKaart Pro
18/12/2012

Percelen
Gebruik de zoekbalk of klik op een perceel om informatie over het perceel te bekijken.