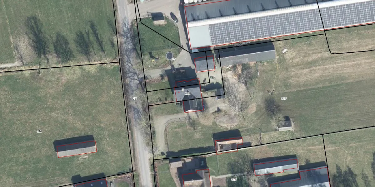
Perceel: BNK01-A-625
KadastraleKaart.com kan meer dan je denktOntdek meer ›
Filter op bestemming 50+ datasets Eigendomsdata in één klik Percelen CRM
430 m2 - 131 m
Eigenaar opvragen
BNK01-A-625 (Bennekom)
- 6721 NZ
z oYMIF4qCT IcA J1AgfOs1SobUpgrade naar KadastraleKaart Pro
Bekijk op Street View
Download DWG/DXF/Excel
crS 6WyT7fiWpRd6iUpgrade naar KadastraleKaart Pro
XJgQBRql0ceUz8NUpgrade naar KadastraleKaart Pro
2jyO6qZ xy fe ENrWxp Y9Upgrade naar KadastraleKaart Pro
OK 96Q71iPUpgrade naar KadastraleKaart Pro
5VvG7fs9L3bWdkgKuNUpgrade naar KadastraleKaart Pro
XFZQKKJxXx5 XtAL30Upgrade naar KadastraleKaart Pro
gY mArz9I89 j6z878fqctUpgrade naar KadastraleKaart Pro
CVQ1W4arv5 JqKQbv40EUpgrade naar KadastraleKaart Pro
o2Zcd8ugNGy XUpgrade naar KadastraleKaart Pro
NbWPDBAXCd65rTNixUpgrade naar KadastraleKaart Pro
16/09/2011

Percelen
Gebruik de zoekbalk of klik op een perceel om informatie over het perceel te bekijken.