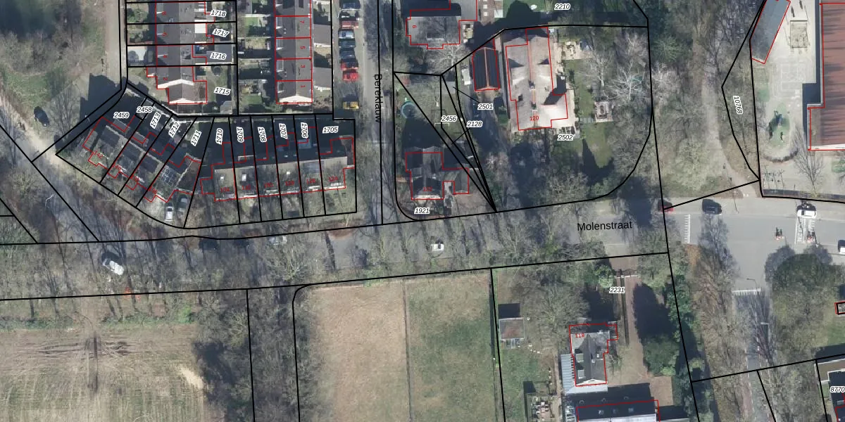
Perceel: BNK01-C-1921
KadastraleKaart.com kan meer dan je denktOntdek meer ›
Filter op bestemming 50+ datasets Eigendomsdata in één klik Percelen CRM
420 m2 - 98 m
Eigenaar opvragen
BNK01-C-1921 (Bennekom)
- 6721 WP
yINnd2Z2q6MkVAiwKTJlUpgrade naar KadastraleKaart Pro
Bekijk op Street View
Download DWG/DXF/Excel
OyX ay3dT nU5bfmCQAOo Upgrade naar KadastraleKaart Pro
h CY dNX VXCSX c 6Upgrade naar KadastraleKaart Pro
O CcYM5LUQpKueqUpgrade naar KadastraleKaart Pro
THIqJL0LNWFKGsUpgrade naar KadastraleKaart Pro
0mOLGgarLLB3wUpgrade naar KadastraleKaart Pro
odyp wcWXv77PpsEq2 vU Upgrade naar KadastraleKaart Pro
QhNpQrXVTbN YpUpgrade naar KadastraleKaart Pro
G5oGV4qnwpUpgrade naar KadastraleKaart Pro
dE hiQ6 mAghpkq1Ia9Upgrade naar KadastraleKaart Pro
EfxE 1pW5lvdghnIiZUvffUpgrade naar KadastraleKaart Pro
29/11/2002

Percelen
Gebruik de zoekbalk of klik op een perceel om informatie over het perceel te bekijken.