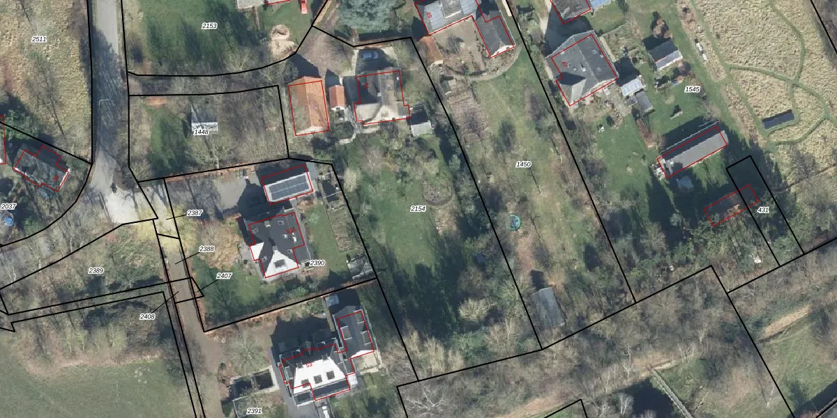
Perceel: BNK01-C-2154
2.835 m2 - 311 m
Eigenaar opvragen
BNK01-C-2154 (Bennekom)
- 6721 MN
gM r0VanmgxSA8i6efAlSea5jrwiBjxUpgrade naar KadastraleKaart Pro
Verkoopprijs opvragen
Bekijk op Street View
Download DWG/DXF/Excel
o3mnZu3Ikr9FajE gDcOZUpgrade naar KadastraleKaart Pro
cGISq6RHUpgrade naar KadastraleKaart Pro
p26DgSY U3ZNmdGFnJUpgrade naar KadastraleKaart Pro
iqAfjynnuMUpgrade naar KadastraleKaart Pro
PyyFY4Mct36VXkS7C6D Upgrade naar KadastraleKaart Pro
GmyEVGRUH99HDNwoFaUpgrade naar KadastraleKaart Pro
q7r F BHA47Upgrade naar KadastraleKaart Pro
dKTfelhoBUpgrade naar KadastraleKaart Pro
JErHL1zLKLPSFv4LFm1NUpgrade naar KadastraleKaart Pro
nIi9nTKdNUpgrade naar KadastraleKaart Pro
13/04/2010

Percelen
Gebruik de zoekbalk of klik op een perceel om informatie over het perceel te bekijken.