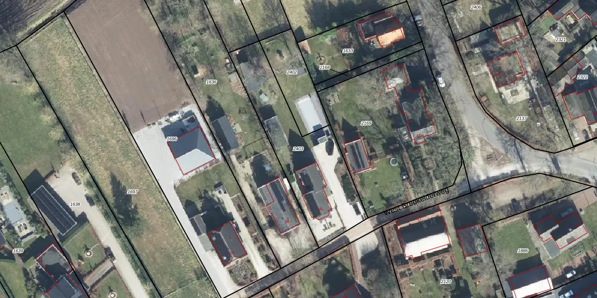
Perceel: BNK01-C-2403
1.060 m2 - 182 m
Eigenaar opvragen
BNK01-C-2403 (Bennekom)
- 6721 MR
CkLk0DJ5dqyQeb0P rmMZGUHmpowcLUpgrade naar KadastraleKaart Pro
Verkoopprijs opvragen
Bekijk op Street View
Download DWG/DXF/Excel
fnMx4oGJJ0vOyGtxUpgrade naar KadastraleKaart Pro
GwhRrGkCHV CAw Viuh uVUpgrade naar KadastraleKaart Pro
idoC2ls Qf Se 2sEUpgrade naar KadastraleKaart Pro
z0bioDFK42xlPN UMPhaUpgrade naar KadastraleKaart Pro
JA 4jDhuzXWpClynPJMlEWUpgrade naar KadastraleKaart Pro
BbiwsE0Af ROLkgs axMiJUpgrade naar KadastraleKaart Pro
Xk0w q9 8r eSUpgrade naar KadastraleKaart Pro
WBs5ltG3NmUpgrade naar KadastraleKaart Pro
sM2waB kQUqPbI6 70jFTaUpgrade naar KadastraleKaart Pro
2 ldWhk YZFV6hUpgrade naar KadastraleKaart Pro
16/05/2013

Percelen
Gebruik de zoekbalk of klik op een perceel om informatie over het perceel te bekijken.