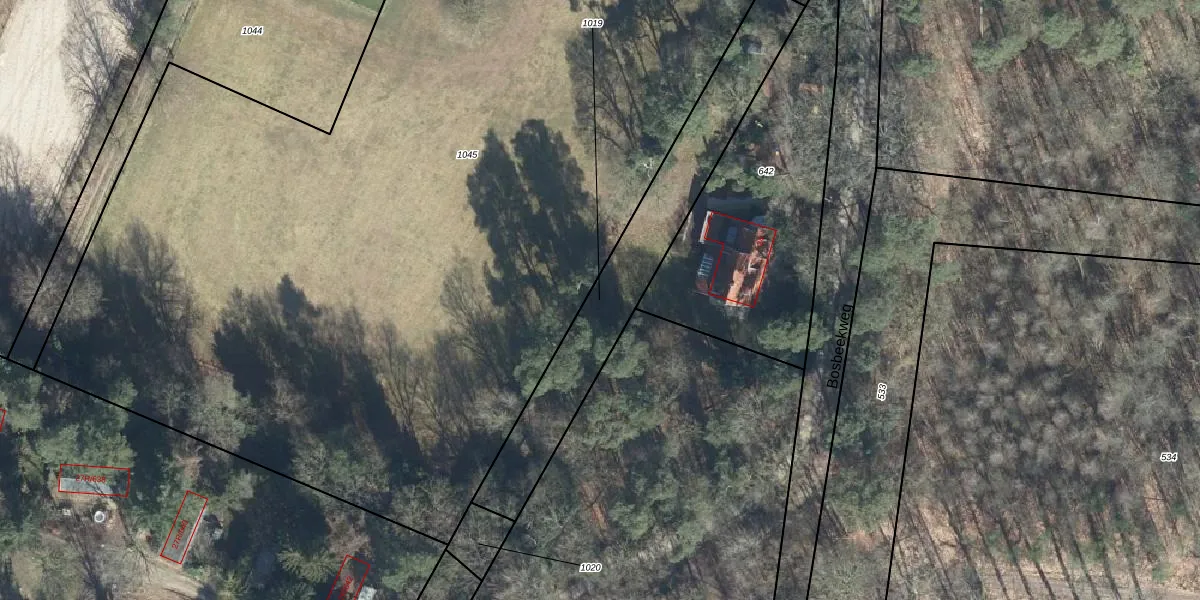
Perceel: BNK01-D-1019
KadastraleKaart.com kan meer dan je denktOntdek meer ›
Filter op bestemming 50+ datasets Eigendomsdata in één klik Percelen CRM
Geen adressen bij dit perceel
867 m2 - 214 m
Eigenaar opvragen
BNK01-D-1019 (Bennekom)
- Geen postcode aanwezig
Azi19R 6AFLe2IB S6npYp3saI HUpgrade naar KadastraleKaart Pro
Bekijk op Street View
Download DWG/DXF/Excel
Pr7GO0ANBWUpgrade naar KadastraleKaart Pro
L28rCQ m8EVDFWNkUpgrade naar KadastraleKaart Pro
UAT4wZpjvLsJ7sWCM3 9FwzUpgrade naar KadastraleKaart Pro
UpPJN8R 62AQ8jysF9iH oUpgrade naar KadastraleKaart Pro
F86VL6Z9yv5lWSKEuyzUpgrade naar KadastraleKaart Pro
1E2O2 i0 PmLV0bcjKBqUpgrade naar KadastraleKaart Pro
uFmAVQXfQoN 0d 3Upgrade naar KadastraleKaart Pro
hNerhKFBHYXEHx AUpgrade naar KadastraleKaart Pro
CzDf14cWEUNDSHUZltj2Upgrade naar KadastraleKaart Pro
M7Vix2Be6FHeXVlq5FRPRiUpgrade naar KadastraleKaart Pro
02/01/2003

Percelen
Gebruik de zoekbalk of klik op een perceel om informatie over het perceel te bekijken.