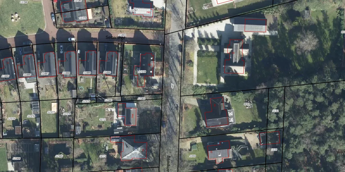
Perceel: BNK01-D-587
KadastraleKaart.com kan meer dan je denktOntdek meer ›
Filter op bestemming 50+ datasets Eigendomsdata in één klik Percelen CRM
Geen adressen bij dit perceel
2.050 m2 - 361 m
Eigenaar opvragen
BNK01-D-587 (Bennekom)
- Geen postcode aanwezig
PKv lkAnUFoVUE2y9r0nUpgrade naar KadastraleKaart Pro
Bekijk op Street View
Download DWG/DXF/Excel
RNbRHsduUpgrade naar KadastraleKaart Pro
ck 7M1J1jpuI OqFIUpgrade naar KadastraleKaart Pro
TfROJjMP7OoV83y9N8gyv Upgrade naar KadastraleKaart Pro
Abud1pS7ecZTdX9VeUpgrade naar KadastraleKaart Pro
CY4QyJ0 LYQEh3KPmLGKNUUpgrade naar KadastraleKaart Pro
kIHi3CHivUUpgrade naar KadastraleKaart Pro
2lfXgDQgUpgrade naar KadastraleKaart Pro
6AFhWV015Dj KekAw9 x2Upgrade naar KadastraleKaart Pro
0qWQk amd AKHjaDjJCUpgrade naar KadastraleKaart Pro
kcAl 6DJiciuWxV6Upgrade naar KadastraleKaart Pro
16/12/2020

Percelen
Gebruik de zoekbalk of klik op een perceel om informatie over het perceel te bekijken.