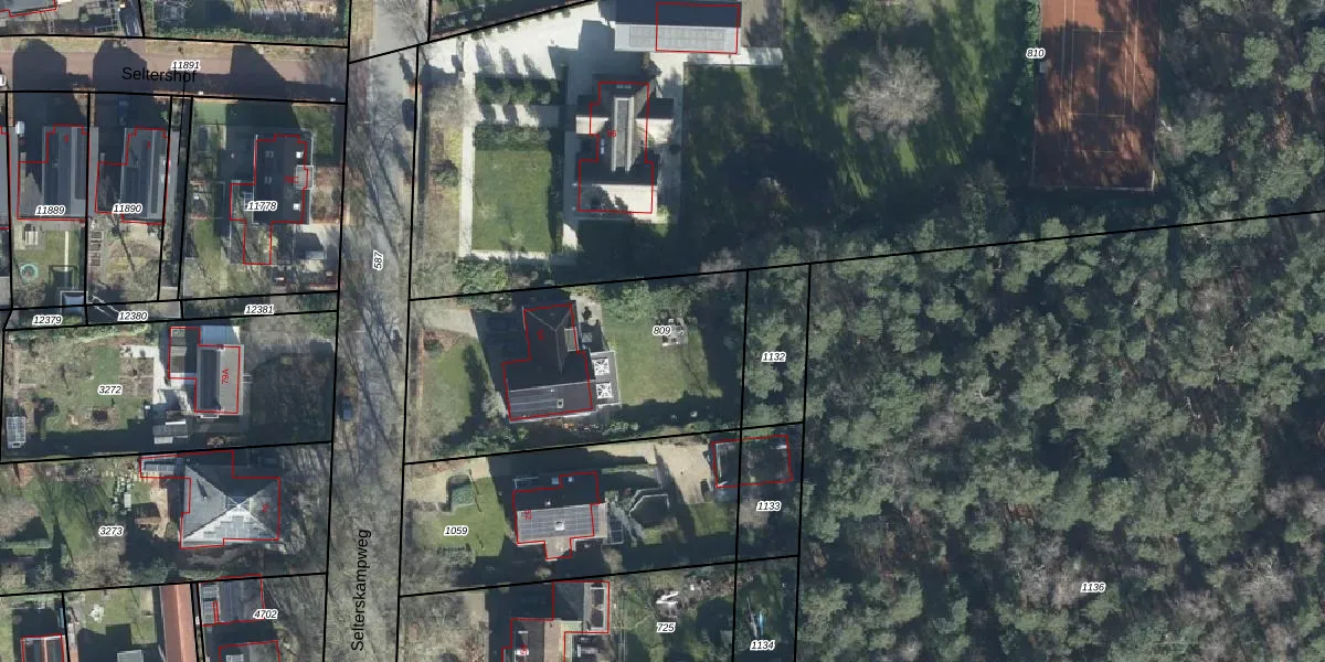
Perceel: BNK01-D-809
KadastraleKaart.com kan meer dan je denktOntdek meer ›
Filter op bestemming 50+ datasets Eigendomsdata in één klik Percelen CRM
1.222 m2 - 151 m
Eigenaar opvragen
BNK01-D-809 (Bennekom)
- 6721 AV
C1bQUuIAXEIaF0yQZ 9CUpgrade naar KadastraleKaart Pro
Verkoopprijs opvragen
Bekijk op Street View
Download DWG/DXF/Excel
5OyHMWnuppDleQuIUpgrade naar KadastraleKaart Pro
LtWrOv A3 p4dB6BCu3ypFUpgrade naar KadastraleKaart Pro
CN XNO77yo mutTUpgrade naar KadastraleKaart Pro
EJe QlS0D2UnmUpgrade naar KadastraleKaart Pro
i oHNGVGIQ YutvUpgrade naar KadastraleKaart Pro
KsCgQATaAUpgrade naar KadastraleKaart Pro
95k1y oX8GsPCUpgrade naar KadastraleKaart Pro
C80jsK7SrZHqe1etGpuUpgrade naar KadastraleKaart Pro
bGFrqWrFNoUpgrade naar KadastraleKaart Pro
ZdEjTCzhea FB8Upgrade naar KadastraleKaart Pro
26/05/2010

Percelen
Gebruik de zoekbalk of klik op een perceel om informatie over het perceel te bekijken.