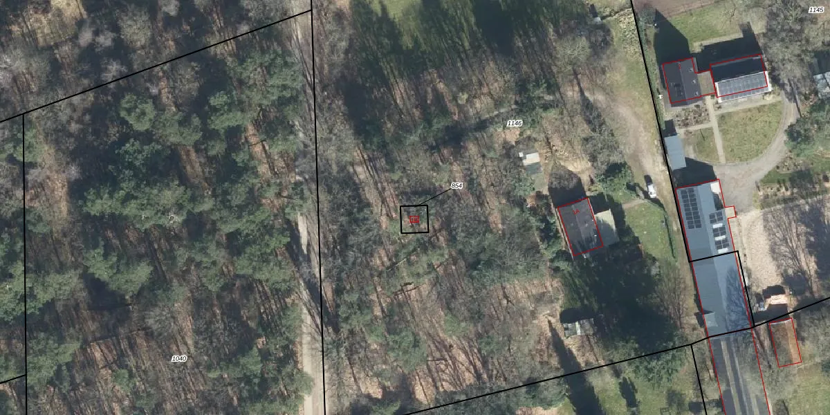
Perceel: BNK01-D-854
KadastraleKaart.com kan meer dan je denktOntdek meer ›
Filter op bestemming 50+ datasets Eigendomsdata in één klik Percelen CRM
42 m2 - 26 m
Eigenaar opvragen
BNK01-D-854 (Bennekom)
- 6721 MC
byrYs5Zh B169wxlUpgrade naar KadastraleKaart Pro
Bekijk op Street View
Download DWG/DXF/Excel
XW EOsmlsDs DXUpgrade naar KadastraleKaart Pro
9h2zlu0QUpgrade naar KadastraleKaart Pro
ZkFVLaQ7AsVv y6HUpgrade naar KadastraleKaart Pro
0C765atVR26UdkFUpgrade naar KadastraleKaart Pro
xJ8 m M 2H83UZFSRRUc5wYUpgrade naar KadastraleKaart Pro
sNofbTopI1zAlUpgrade naar KadastraleKaart Pro
dLy7HlWIiF oF2P81 EUpgrade naar KadastraleKaart Pro
TAuA m29upY alieUs7h5DUpgrade naar KadastraleKaart Pro
H QrRL8Mfs4Upgrade naar KadastraleKaart Pro
GSepFk3WIUUmC BUpgrade naar KadastraleKaart Pro
17/10/2002

Percelen
Gebruik de zoekbalk of klik op een perceel om informatie over het perceel te bekijken.