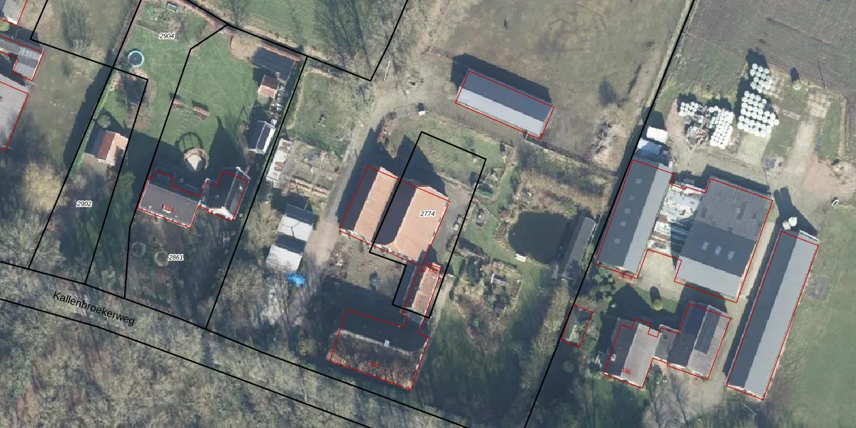
Perceel: BNV00-A-2774
KadastraleKaart.com kan meer dan je denktOntdek meer ›
Filter op bestemming 50+ datasets Eigendomsdata in één klik Percelen CRM
600 m2 - 114 m
Eigenaar opvragen
BNV00-A-2774 (Barneveld)
- 3784 VB
gZc2uQB7FTkL4q2K wcUpgrade naar KadastraleKaart Pro
Bekijk op Street View
Download DWG/DXF/Excel
CO70g4z0Lf 6RZUpgrade naar KadastraleKaart Pro
gv0QQQ9C HfC3eOUpgrade naar KadastraleKaart Pro
RxMB 4zZePyyGy WDUpgrade naar KadastraleKaart Pro
ipy4sE6USWmUkUxUpgrade naar KadastraleKaart Pro
uTOplDWz4Upgrade naar KadastraleKaart Pro
KPBCAtJFA3oUR85IleUpgrade naar KadastraleKaart Pro
H6ITbGf xNWTkGfGius1ruUpgrade naar KadastraleKaart Pro
m349GYsHsADDJ Upgrade naar KadastraleKaart Pro
QrzzuJERqgnsEde3n E74Upgrade naar KadastraleKaart Pro
8fDve 8wb5sUpgrade naar KadastraleKaart Pro
08/11/2007

Percelen
Gebruik de zoekbalk of klik op een perceel om informatie over het perceel te bekijken.