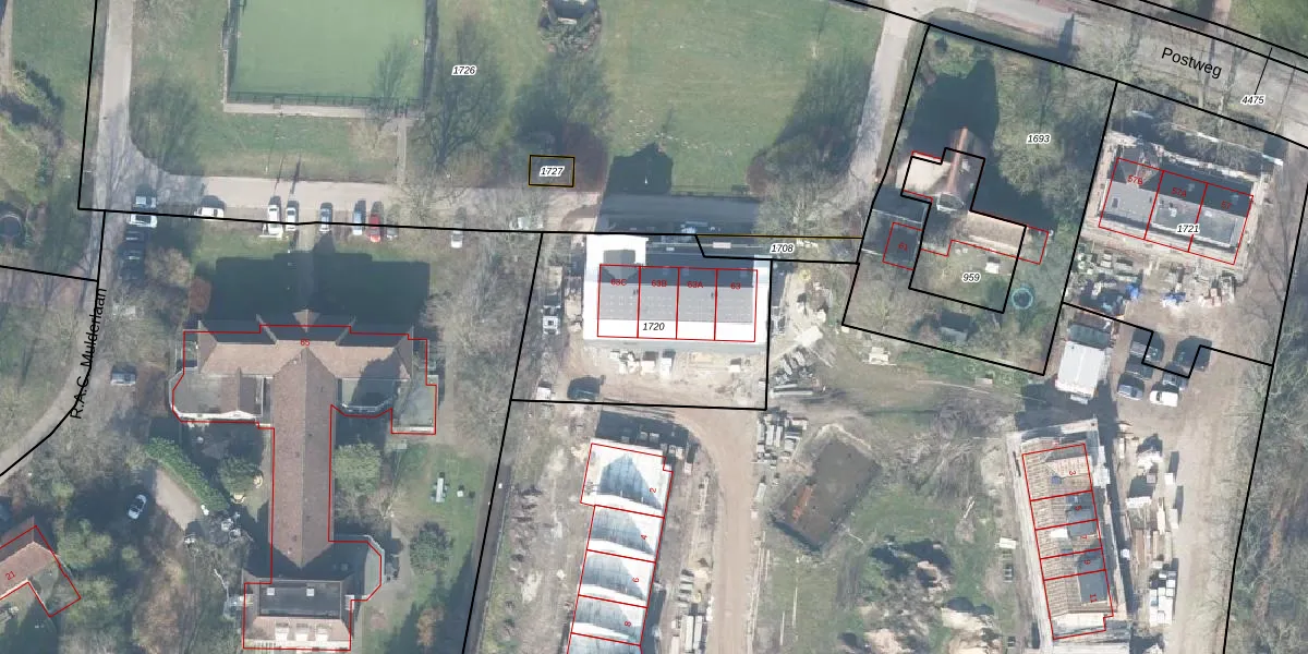
Perceel: BNV00-F-1720
KadastraleKaart.com kan meer dan je denktOntdek meer ›
Filter op bestemming 50+ datasets Eigendomsdata in één klik Percelen CRM
905 m2 - 125 m
Eigenaar opvragen
BNV00-F-1720 (Barneveld)
- 3794 MK
3GpxCkyRHvBhs UpoJityUNUpgrade naar KadastraleKaart Pro
Bekijk op Street View
Download DWG/DXF/Excel
x6cvlNHyo o662hUpgrade naar KadastraleKaart Pro
zQcEiROvTNUpgrade naar KadastraleKaart Pro
RUeATlGx84ufKGvm20Upgrade naar KadastraleKaart Pro
cYKFXSJBR5poL cQUpgrade naar KadastraleKaart Pro
cM U3sTB6Rliq3b4g E9wBUpgrade naar KadastraleKaart Pro
ItKonWZIP3L8GgZOoUpgrade naar KadastraleKaart Pro
jHle7 IUpgrade naar KadastraleKaart Pro
aRnQqWGMg5XfhGUpgrade naar KadastraleKaart Pro
uZI8FQ9zy7Upgrade naar KadastraleKaart Pro
FLLDVs6GwUUpgrade naar KadastraleKaart Pro
09/04/2024

Percelen
Gebruik de zoekbalk of klik op een perceel om informatie over het perceel te bekijken.